New Search Family, Subfamily and Tribe List

SubFamily Cerambycinae

Tribe Obriini
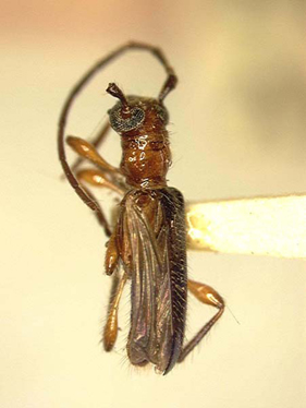
Obrium mozinnae Linell 1897

Specimen Type: holotype
Sex: m
Institution: NMNH United States National Museum, Washington, DC, USA
Photographer: Steve Lingafelter
Collection Location: Brownsville, Texas
2275


Photographer: Larry G. Bezark
2276

130425