_Bates_BMNH_JAC_=_Obrium_maculatum_(Olivier).jpg)
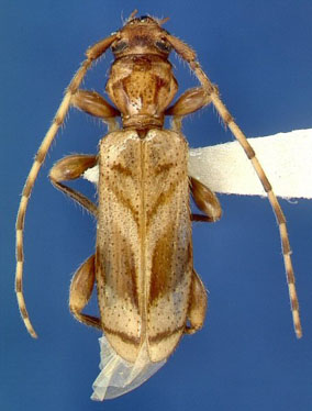
Obrium lituratum Bates Specimen Type: lectotype Sex: m Institution: BMNH British Museum Natural History, London, UK Photographer: John Chemsak Collection Location: Cerro Zunil, Quezaltenango, Guatemala 17622
|
_BCA_(as_literatum_Bates).jpg)
Institution: BCA Biologia Centrali Americana Collection Location: (as literatum Bates) 10832
|
_FSCA.jpg)
Institution: FSCA Florida State Collection of Arthropods, Gainesville, FL, USA Photographer: Mike Thomas 2273
|
_LGB.jpg)
Photographer: Larry G. Bezark 2274
|
|