_SW_TogoZio_Prefecture_det_Francesco_forum.jpg)
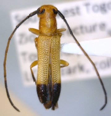
Institution: LGBC Larry G. Bezark Collection, Sacramento, California, USA Photographer: Larry G. Bezark Determiner: Francesco Vitali, Cerambycoidea Forum Collection Location: Zio Prefecture, SW Togo 50429
|
_SW_TogoZio_Prefecture_det_Francesco_forum.jpg)
Institution: LGBC Larry G. Bezark Collection, Sacramento, California, USA Photographer: Larry G. Bezark Determiner: Francesco Vitali, Cerambycoidea Forum Collection Location: Zio Prefecture, SW Togo 50430
|