New Search Family, Subfamily and Tribe List

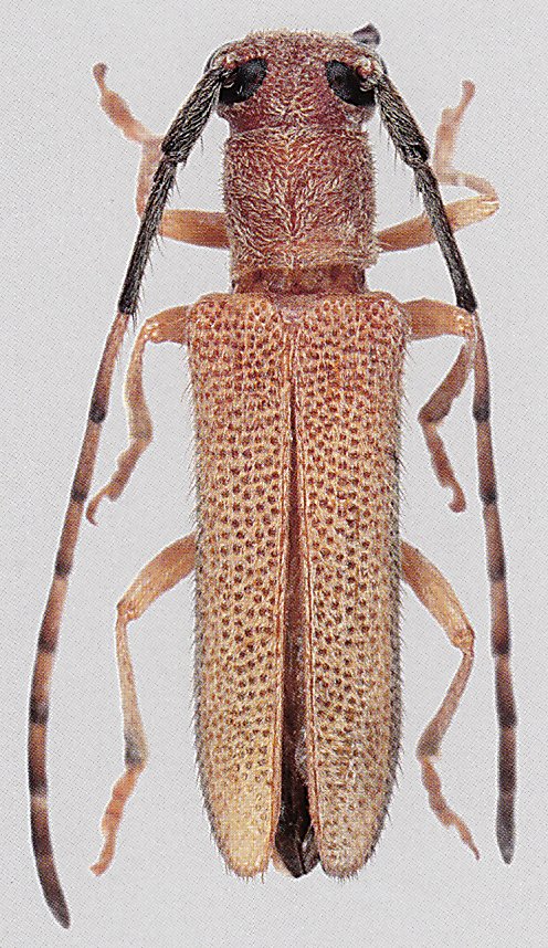
SubFamily Lamiinae

Tribe Saperdini
Phytoecia fuscolateralis Breuning 1977

Sex: f
Photographer: Karl Adlbauer
Collection Location: Ethiopia
72755

130425