_Tsherepanov.jpg)
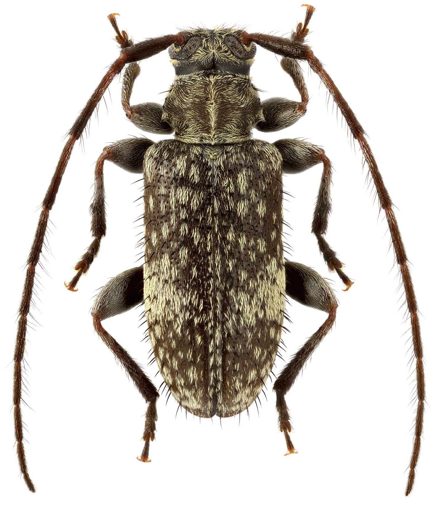
Exocentrus ussuricus Tsherepanov Specimen Type: holotype Institution: Siberian Zoological Museum, Novosibirsk Collection Location: Primorye District, Russia 40880
|
 Gerasimov Creek, Lazo Village, Lazovsky District, Primorsky Krai, Russian FE Max.jpg)
Sex: m Photographer: Maxim E. Smirnov Collection Location: Lazo Village, Lazovsky District, Primorsky Krai, Russian Far East 81341
|