New Search Family, Subfamily and Tribe List

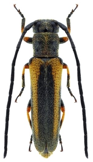
SubFamily Lamiinae

Tribe Saperdini
Phytoecia ochraceipennis Kraatz 1882

Photographer: Navratil & Hoskovec
Collection Location: 60 km E Kulyab, vic Muminabad, Tajikistan
59213


Photographer: Aleksandr Slutsky
Collection Location: vicinity of Lijaki village, Khazratisho Mountains, S Tajikistan
75412

130425