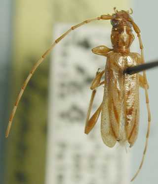
_Hovore_and_Chemsak_Guanacaste_Costa_Rica_UCB.jpg)
Specimen Type: paratype Institution: UCB Essig Museum of Entomology, Berkeley, California, USA Photographer: Larry G. Bezark Collection Location: Guanacaste, Costa Rica 10815
|
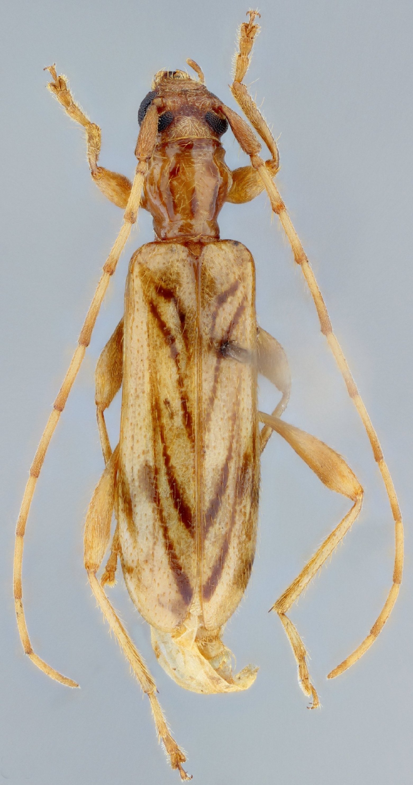
_Hov_Chem_MZSP_Mt_Totumas_Cloud_For_Volcan_Chiriqui_Pan_SS.jpg)
Sex: f Institution: MZSP Museu de Zoologia da Universidade de São Paulo, Brazil Photographer: Antonio Santos-Silva Collection Location: Mt Totumas Cloud Forest, Volcan, Chiriqui, Panama 69011
|