New Search Family, Subfamily and Tribe List

SubFamily Lamiinae

Tribe Desmiphorini
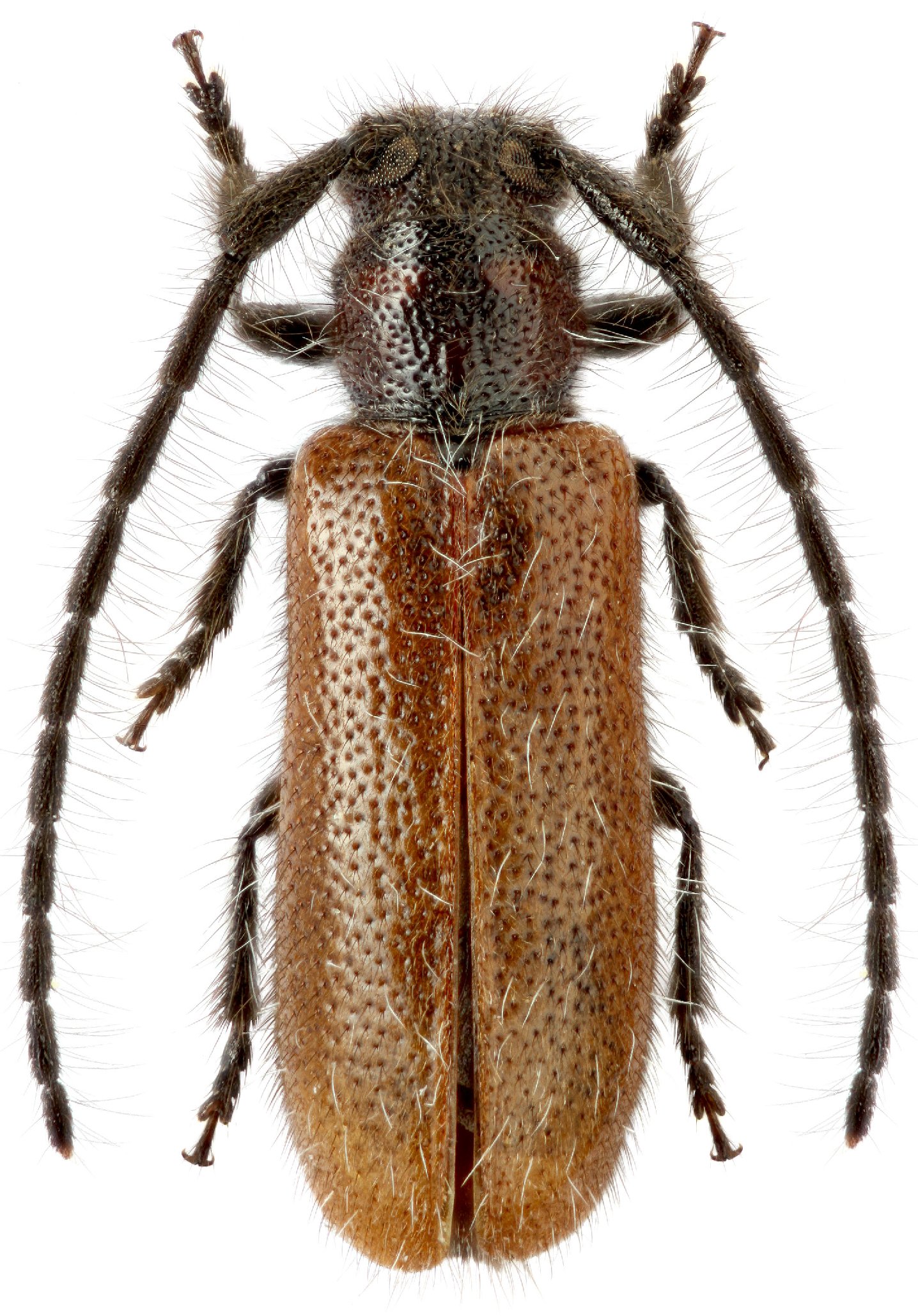
Sophronica sundukovi Danilevsky 2009

Specimen Type: holotype
Sex: m
Institution: ZMUM Zoological Museum, University of Moscow
Determiner: Max Smirnov
Collection Location: vic Lazo, Primorsky, Russia
60947

130425