_Bates_BMNH_JAC.jpg)
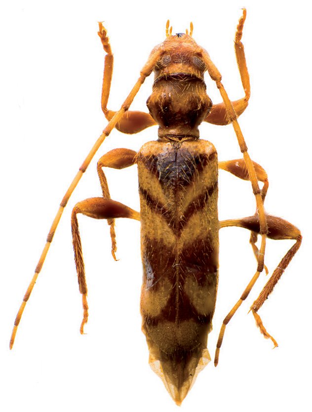
Specimen Type: lectotype Sex: m Institution: BMNH British Museum Natural History, London, UK Photographer: John Chemsak Collection Location: Bugaba, Chiriqui, Panama 17618
|

Institution: BCA Biologia Centrali Americana 10811
|

Institution: MZUS Museo Zoológico de la Universidad de Sucre, Sucre, Colombia Photographer: Juan Pablo Botero Collection Location: Los Palmitos, Finca el Oriente, Sucre, Colombia 72890
|
|