New Search Family, Subfamily and Tribe List

SubFamily Lamiinae

Tribe Saperdini
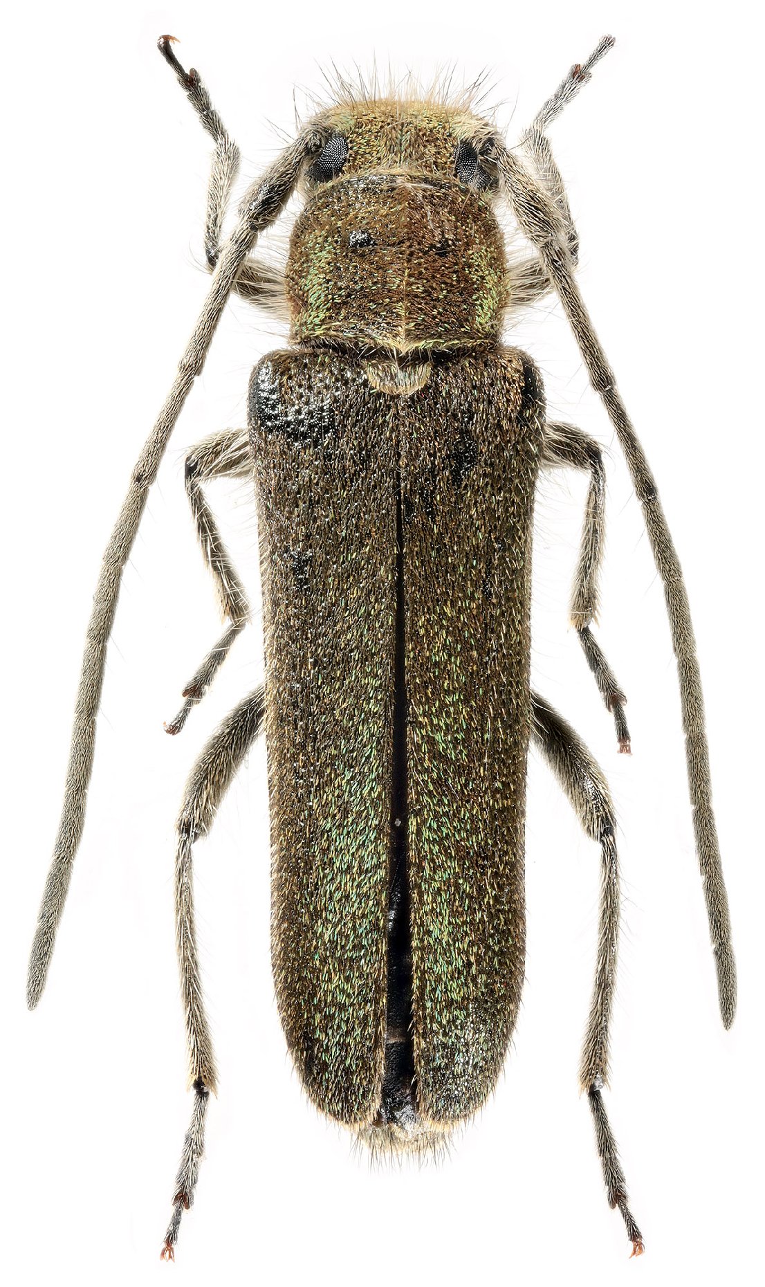
Phytoecia prasina prasina Reitter 1911

Photographer: Denis Kasatkin
Collection Location: vic Gosmalian Village, Lerik District, S Azerbaijan
81813

130425