_Frivaldsky_MTMB_Szlivno_Balkans_Bosnia-Herzegovina_A_Grabant.jpg)
Saperda balcanica Frivaldsky Specimen Type: holotype Institution: MTMB Magyar Természettudományi Műzeum, Budapest, Hungary Photographer: A Grabant Collection Location: Szlivno, Balkans, Bosnia-Herzegovina 74372
|
_Frivaldsky_MTMB_Szlivno_Balkans_Bosnia-Herzegovina_A_Grabant.jpg)
Saperda balcanica Frivaldsky Specimen Type: holotype Institution: MTMB Magyar Természettudományi Műzeum, Budapest, Hungary Photographer: A Grabant Collection Location: Szlivno, Balkans, Bosnia-Herzegovina 74373
|
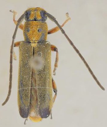
_Frivaldsky_MTMB_Szlivno_Balkans_Bosnia-Herzegovina_A_Grabant.jpg)
Saperda balcanica Frivaldsky Specimen Type: holotype Institution: MTMB Magyar Természettudományi Műzeum, Budapest, Hungary Photographer: A Grabant Collection Location: Szlivno, Balkans, Bosnia-Herzegovina 74374
|

Institution: LGBC Larry G. Bezark Collection, Sacramento, California, USA Photographer: Larry G. Bezark Collection Location: Tunceli, Turkey 49496
|
_(Frivald)_Izgrev_Strandzha_Mtn_Bulgaria_J_Kurzawa_pic.jpg)
Sex: f Photographer: Jacek Kurzawa Collection Location: Izgrev, Strandzha Mountain, Bulgaria 74370
|
_(Frivald)_Izgrev_Strandzha_Mtn_Bulgaria_J_Kurzawa_pic.jpg)
Sex: f Photographer: Jacek Kurzawa Collection Location: Izgrev, Strandzha Mountain, Bulgaria 74371
|
_balacanica_Frivaldsky_N_Turkey_Kurzawa.jpg)
Photographer: Jacek Kurzawa Collection Location: Northern Turkey 56825
|

Photographer: Michal Hoskovec 54281
|
|