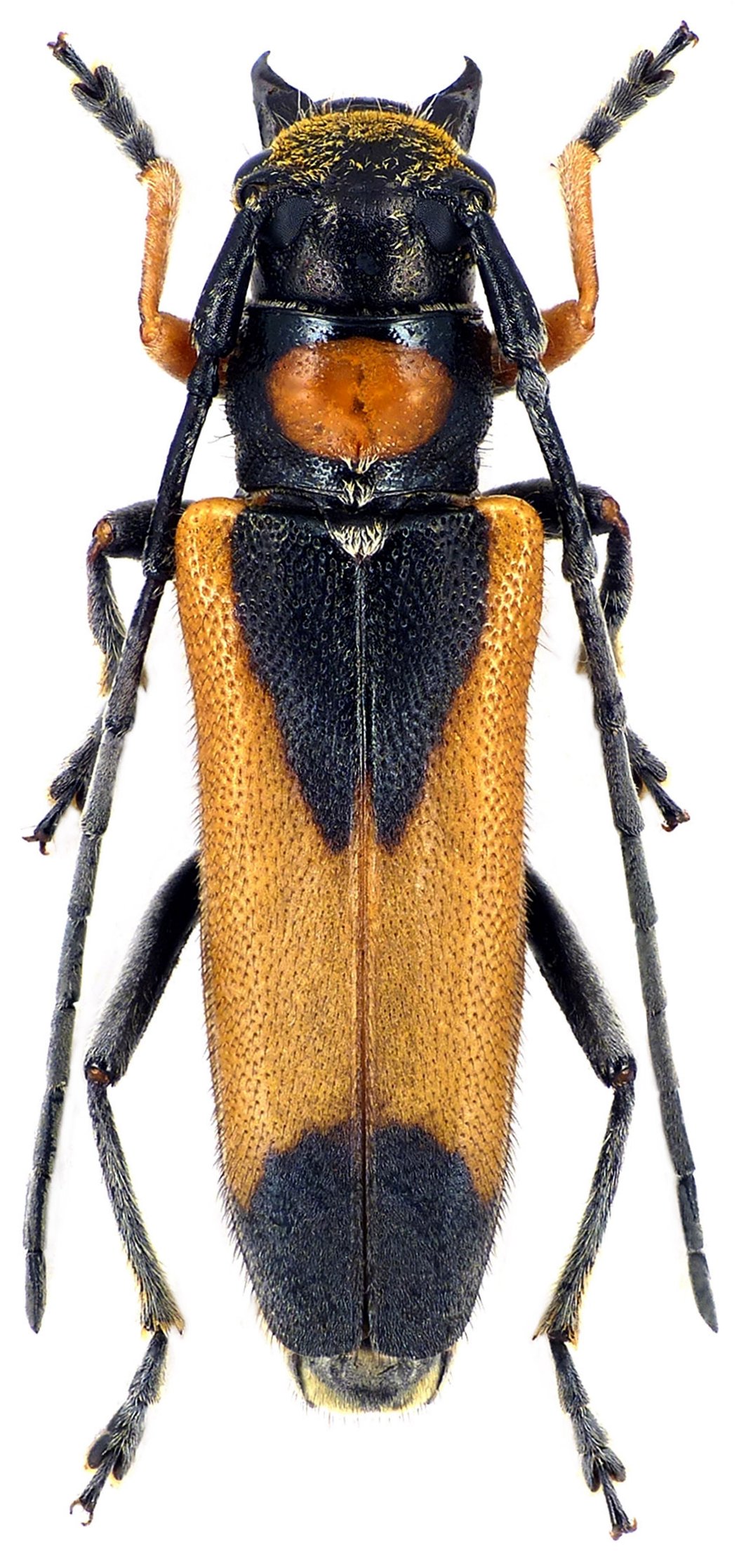
_Faldermann_2kmE_Agsu_Lyangyabiysky_Mtns_Shamakhi_distr_Daglig-Shirvan reg_E Azerbaijan_Slutsky.jpg)
Sex: m Photographer: Aleksandr Slutsky Collection Location: 2 km E Agsu, Shamakhi district, Daglig-Shirvan region, E Azerbaijan 75414
|
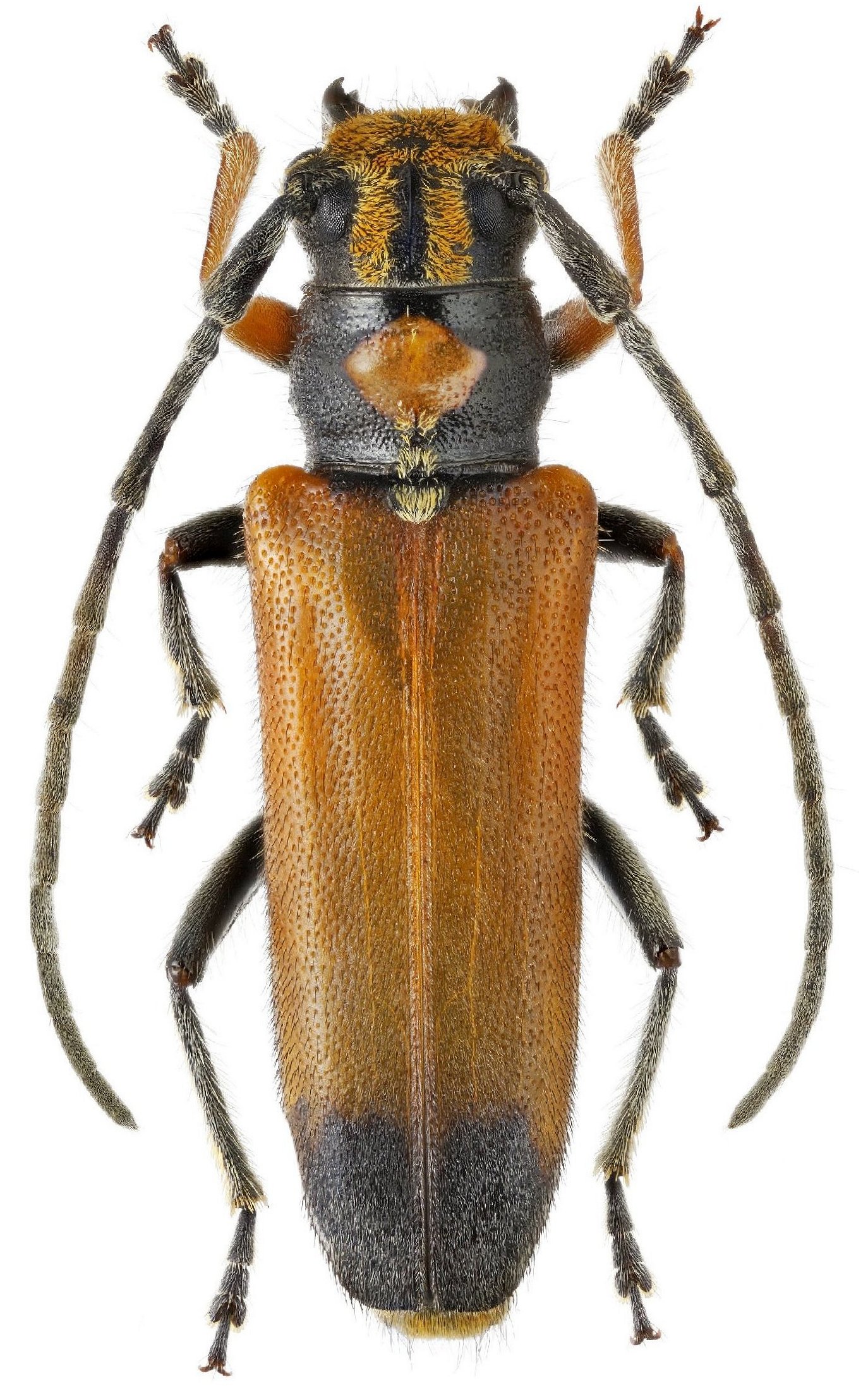
_Faldermann_2kmE_Agsu_Lyangyabiysky_Mtns_Shamakhi_distr_Daglig-Shirvan reg_E Azerbaijan_Slutsky.jpg)
Sex: f Photographer: Aleksandr Slutsky Collection Location: 2 km E Agsu, Shamakhi district, Daglig-Shirvan region, E Azerbaijan 75415
|

Photographer: David Navratil Collection Location: Kasristskali Village, Vashlovani NP, Kakheti Region, E Georgia 81814
|

Helladia pretiosa fatima Faldermann Photographer: Michal Hoskovec Collection Location: Hop Gecidi, SE Turkey 50812
|

Photographer: Kirill V. Makarov Collection Location: Qosmalyan Village, Lerik District, Lankaran-Astara, Azerbaijan 50813
|

Helladia pretiosa ninives Faldermann Determiner: Biocosme Mésogéen, Nice Collection Location: Mosul, Iraq 50814
|
_fatima_Gangl_Azerbaijan_Lerik_Dist_E_Amburdara_Kasatkin.jpg)
Photographer: Denis Kasatkin Collection Location: E Amburdara, Lerik District, Azerbaijan 56817
|
_pretiosa_(Fald)_Artcakh_Khudapherin_Armenia_VM.jpg)
Photographer: Vahe Martirosyan Collection Location: Artcakh, Khudapherin, Armenia 52238
|
|