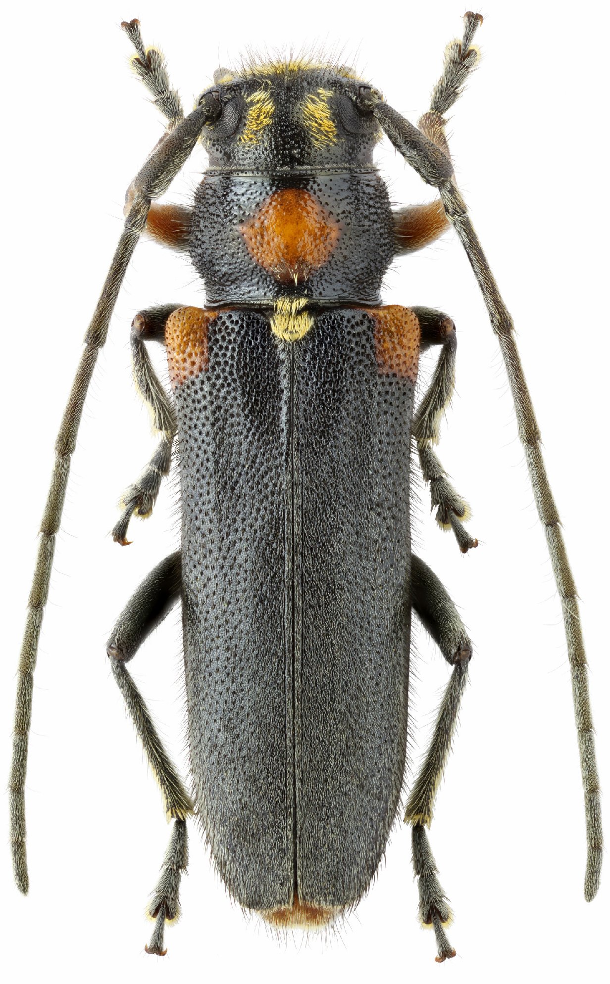
 Oludeniz, Fethiye District, Mugla Province, Turkey Smirnov.jpg)
Sex: f Photographer: Maxim E. Smirnov Collection Location: Oludeniz, Fethiye District, Mugla Province, Turkey 50804
|
_LGB_Turkey.jpg)
Institution: LGBC Larry G. Bezark Collection, Sacramento, California, USA Photographer: Larry G. Bezark Collection Location: Turkey 56882
|