
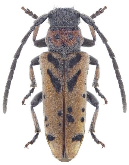
Sex: f Photographer: Aleksandr Slutsky Collection Location: Lower Parking Site, Mount Hermon, Israel 75395
|
_Frivaldszky_Lower Parking_Site_Mt_Hermon_Israel_Slutsky.jpg)
Sex: f Photographer: Aleksandr Slutsky Collection Location: Lower Parking Site, Mount Hermon, Israel 75396
|

Sex: mf Photographer: Navratil & Hoskovec Collection Location: Kasristskali Village, Vashlovani NP, Kakheti Region, E Georgia 81749
|

Sex: m Photographer: Michal Hoskovec Collection Location: Bitlis, Eastern Turkey 50797
|
|