New Search Family, Subfamily and Tribe List

SubFamily Lamiinae

Tribe Saperdini
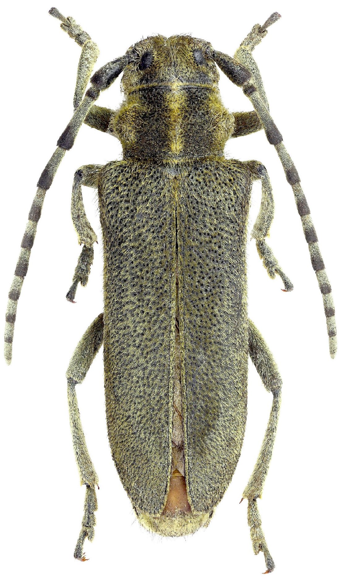
Oxylia duponcheli (Brulle, 1832)

Collection Location: Tripona, Greece
55271


Photographer: Sergei Kakunin
Collection Location: vic Vlacherna, Arcadia, Peloponnesia, Greece
81536

130425