New Search Family, Subfamily and Tribe List

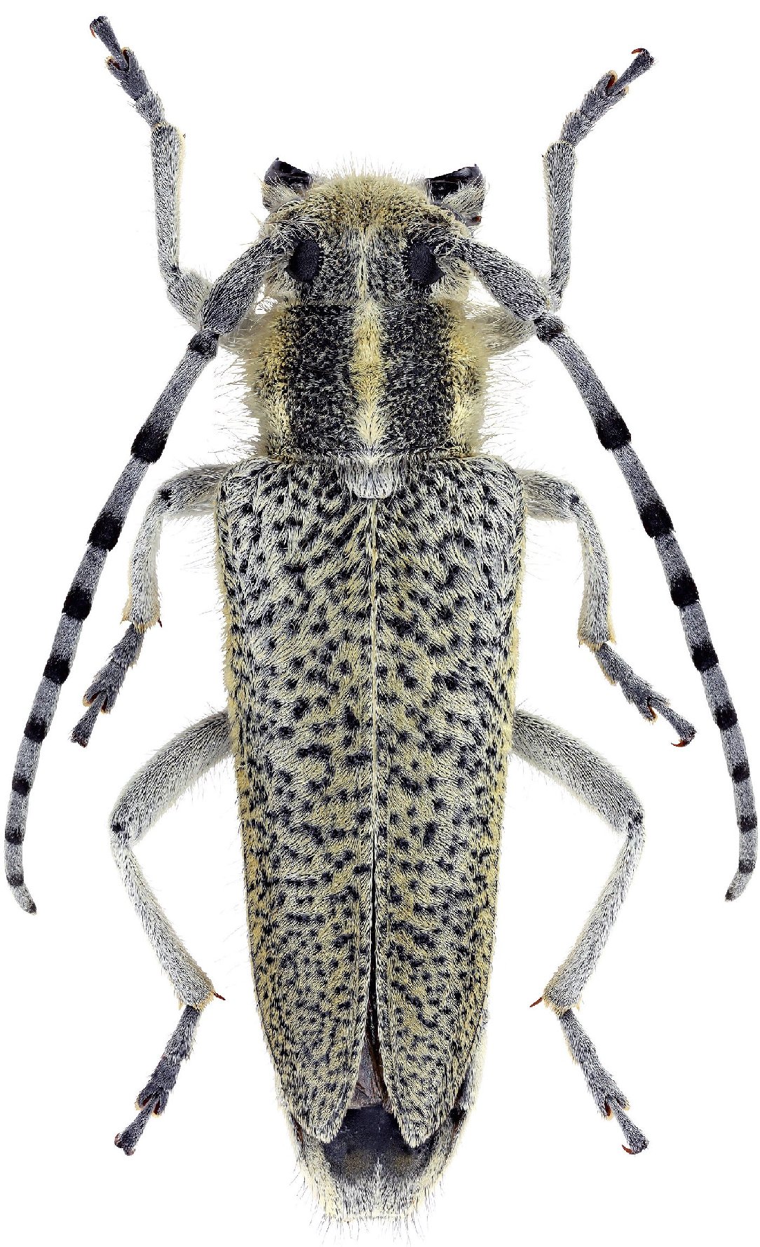
SubFamily Lamiinae

Tribe Saperdini
Oxylia argentata argentata (Menetries, 1832)

Photographer: Sergei Kakunin
Collection Location: vic Gescher, Mazandaran Province, Iran
55269


Photographer: Aleksandr Slutsky
Collection Location: Vagravar village, 9 km NNW Megri town, Marz, Syunik Province, Armenia
75390


Photographer: Denis Kasatkin
Collection Location: Armenia
55270

130425