_Caz_and_Lacey_AMNH_S_Bimini_Is_Bahamas.jpg)
Specimen Type: holotype Sex: m Institution: AMNH American Museum of Natural History, New York, NY, USA Collection Location: South Bimini Island, Bahama Islands, West Indies 27909
|
_Cazier_and_Lacey_AMNH_GN.jpg)
Specimen Type: holotype Sex: m Institution: AMNH American Museum of Natural History, New York, NY, USA Photographer: Gino Nearns Collection Location: South Bimini Island, Bahama Islands, West Indies 24039
|

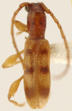
Institution: UCB Essig Museum of Entomology, Berkeley, California, USA Photographer: Larry G. Bezark Determiner: Chemsak Collection Location: Bahamas 12283
|
|