
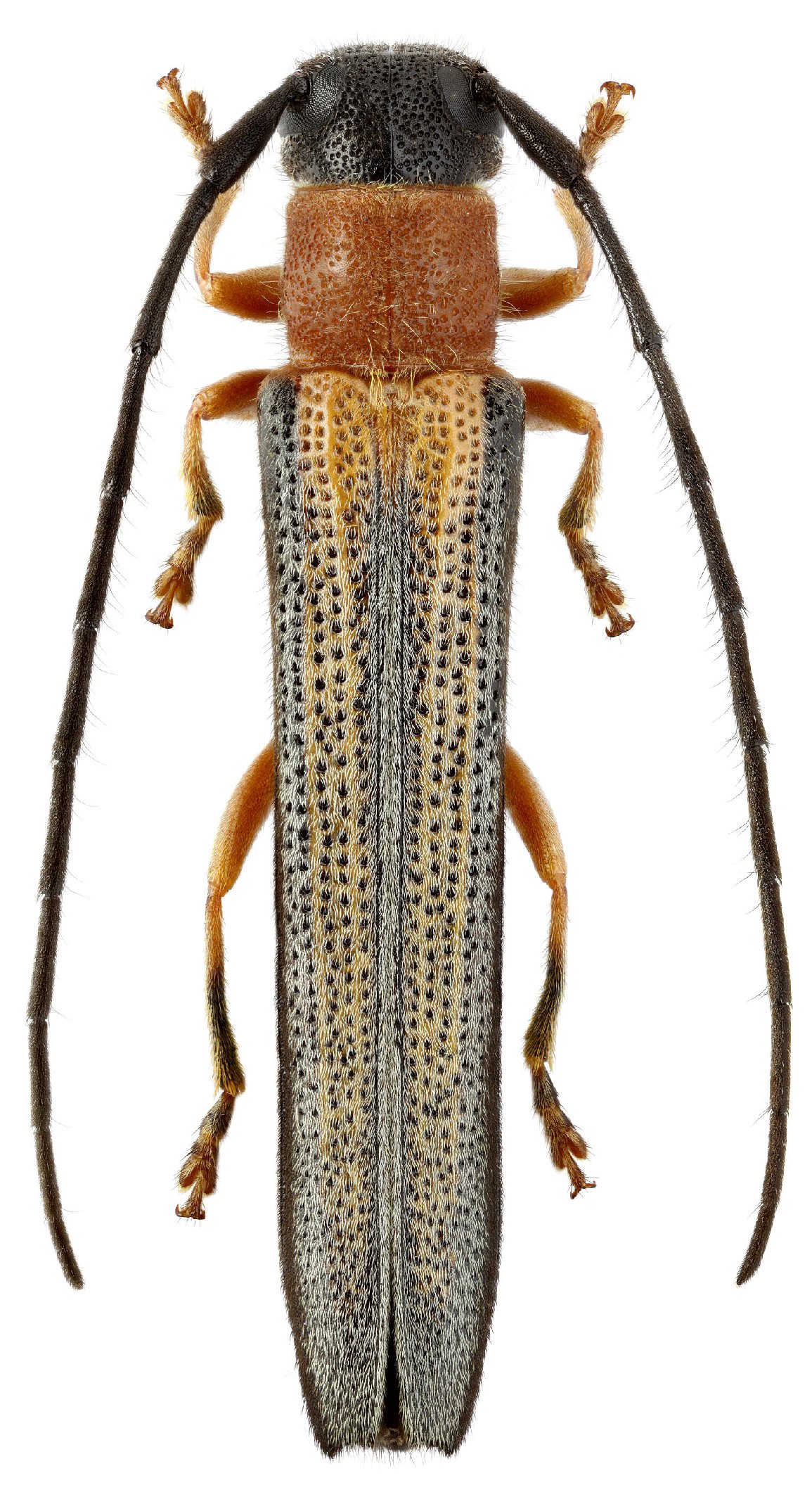
Sex: f Photographer: Maxim E. Smirnov Collection Location: Glazkovka, Lazovsky District, Primorsky krai, Russian Far East 54905
|

Institution: CAS California Academy of Sciences, San Francisco, CA, USA Photographer: Larry G. Bezark Determiner: Mitono 54904
|