 Fisher NMNH Antigua, West Indies now Caribbo Moure.jpg)
Merostenus similis Fisher Specimen Type: holotype Sex: f Institution: NMNH United States National Museum, Washington, DC, USA Photographer: JS Moure Collection Location: Antigua, West Indies 17385
|
_Fisher_USNM_=_Caribbomerus.jpg)
Merostenus similis Fisher Specimen Type: holotype Sex: f Institution: NMNH United States National Museum, Washington, DC, USA Collection Location: Antigua, West Indies 20502
|
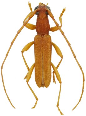
_Fisher_Antigua_and_Barbuda_USNM_SWL_=_Caribbomerus.jpg)
Merostenus similis Fisher Specimen Type: holotype Sex: f Institution: NMNH United States National Museum, Washington, DC, USA Photographer: Steve Lingafelter Collection Location: Antigua, West Indies 9926
|
_.jpg)
Photographer: Julien Touroult 36669
|
_SWL.jpg)
Photographer: Steve Lingafelter 30016
|
|