_White_BMNH_Jamaica_nowCaribbomerus_LGB.jpg)
Merostenus productus White Specimen Type: holotype Institution: BMNH British Museum Natural History, London, UK Photographer: Larry G. Bezark Collection Location: Jamaica 47080
|
_White_BMNH_JAC_=_Caribbomerus.jpg)
Merostenus productus White Specimen Type: holotype Institution: BMNH British Museum Natural History, London, UK Photographer: John Chemsak Collection Location: Jamaica 17384
|
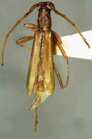
_Fisher_Mandeville_Jamaica_MCZ_=_Caribbomerus_productus_(White).jpg)
Merostenus tuberculatus Fisher Specimen Type: holotype Sex: f Institution: MCZ Museum of Comparative Zoology, Harvard University, Cambridge, MA, USA Collection Location: Mandeville, Jamaica 17386
|
_Fisher_Mandeville_Jamaica_MCZ_=_Caribbomerus_productus_(White).jpg)
Merostenus tuberculatus Fisher Specimen Type: holotype Sex: f Institution: MCZ Museum of Comparative Zoology, Harvard University, Cambridge, MA, USA Collection Location: Mandeville, Jamaica 17387
|
_Fisher_Mandeville_Jamaica_MCZ_=_Caribbomerus_productus_(White).jpg)
Merostenus tuberculatus Fisher Specimen Type: holotype Sex: f Institution: MCZ Museum of Comparative Zoology, Harvard University, Cambridge, MA, USA Collection Location: Mandeville, Jamaica 17388
|
_Fisher_Mandeville_Jamaica_MCZ_=_Caribbomerus_productus_(White).jpg)
Merostenus tuberculatus Fisher Specimen Type: holotype Sex: f Institution: MCZ Museum of Comparative Zoology, Harvard University, Cambridge, MA, USA Collection Location: Mandeville, Jamaica 17389
|
_SWL.jpg)
Photographer: Steve Lingafelter 30015
|
|