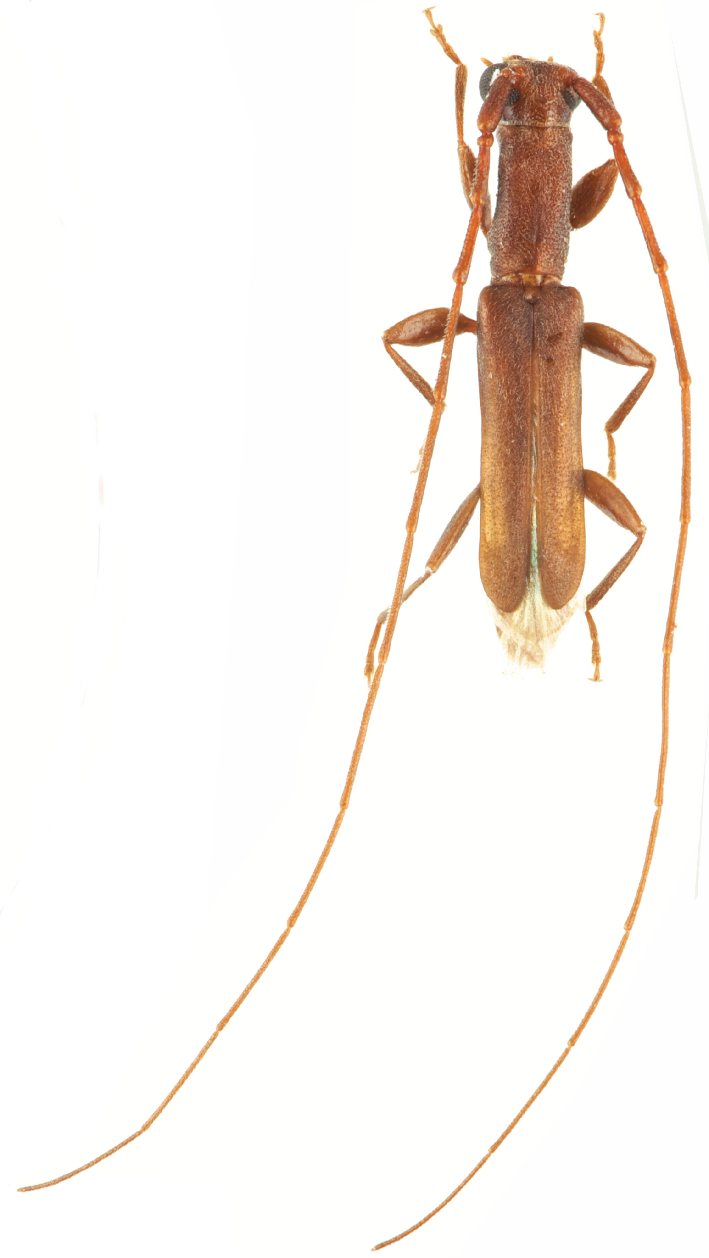
_Zayas_FZPC_Siboney_Cuba_now_Perigracilia_exigua_SD.jpg)
Merostenus exiguous Zayas Specimen Type: lectotype Sex: m Institution: FZPC Fernando de Zayas Private Collection, Havana, Cuba Photographer: Sergio Devesa Collection Location: Siboney, Cuba 74119
|
_Zayas_FZPC_Siboney_Cuba_now_Perigracilia_exigua_SD.jpg)
Merostenus exiguous Zayas Specimen Type: lectotype Sex: m Institution: FZPC Fernando de Zayas Private Collection, Havana, Cuba Photographer: Sergio Devesa Collection Location: Siboney, Cuba 74120
|
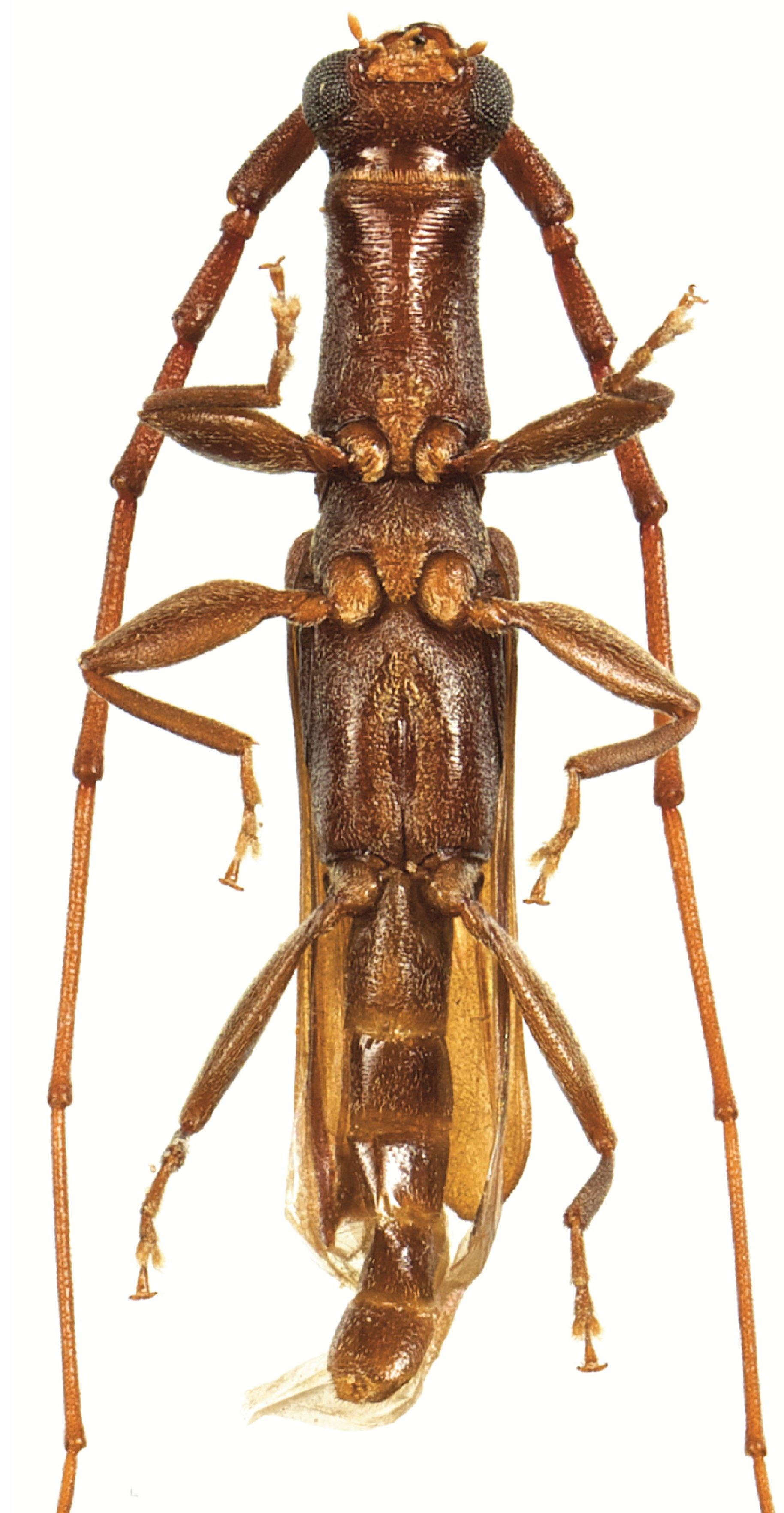
_Zayas_MNHC_Cuba_Nearns_Zootaxa_=_Caribbomerus.jpg)
Merostenus exiguous Zayas Specimen Type: lectotype Sex: m Institution: FZPC Fernando de Zayas Private Collection, Havana, Cuba Photographer: Gino Nearns Collection Location: Pan de Guajaibon, Pinar del Rio, Cuba 23008
|
_Zayas_Siboney_Cuba_now_Perigracilia_exigua_SD.jpg)
Merostenus exiguous Zayas Specimen Type: paralectotype Sex: m Institution: FZPC Fernando de Zayas Private Collection, Havana, Cuba Photographer: Sergio Devesa Collection Location: Siboney, Cuba 74121
|
_Zayas_Siboney_Cuba_now_Perigracilia_exigua_SD.jpg)
Merostenus exiguous Zayas Specimen Type: paralectotype Sex: m Institution: FZPC Fernando de Zayas Private Collection, Havana, Cuba Photographer: Sergio Devesa Collection Location: Siboney, Cuba 74122
|
_SWL.jpg)
Photographer: Steve Lingafelter 30012
|
_Topes_de_Collantes_Sancti_Spiritus_Cuba_SD.jpg)
Sex: m Photographer: Sergio Devesa Collection Location: Topes de Collantes, Sancti Spiritus, Cuba 74128
|
_Topes_de_Collantes_Sancti_Spiritus_Cuba_SD.jpg)
Sex: m Photographer: Sergio Devesa Collection Location: Topes de Collantes, Sancti Spiritus, Cuba 74129
|
_Topes_de_Collantes_Sancti_Spiritus_Cuba_SD.jpg)
Sex: m Photographer: Sergio Devesa Collection Location: Topes de Collantes, Sancti Spiritus, Cuba 74130
|
_Topes_de_Collantes_Sancti_Spiritus_Cuba_SD.jpg)
Sex: m Photographer: Sergio Devesa Collection Location: Topes de Collantes, Sancti Spiritus, Cuba 74131
|
_Topes_de_Collantes_Sancti_Spiritus_Cuba_SD.jpg)
Sex: m Photographer: Sergio Devesa Collection Location: Topes de Collantes, Sancti Spiritus, Cuba 74132
|
_Siboney_reservea_Jutici_Santiago_deCuba_Cuba_SD.jpg)
Sex: m Photographer: Sergio Devesa Collection Location: Siboney reserve, Jutici, Santiago de Cuba 74133
|