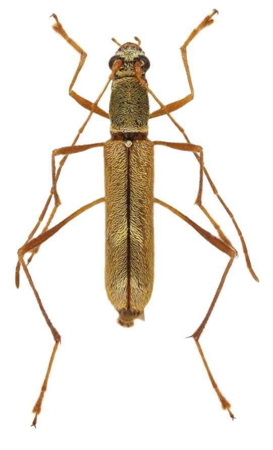
 Pic MNHN Chapa, Tonkin, Vioetnam XG.jpg)
Specimen Type: holotype © MNHN Institution: MNHN Museum of Natural History Paris, France Photographer: Xavier Gouverneur Collection Location: Chapa, Tonkin, Vietnam 77270
|

Institution: Viktora Collection Photographer: Petr Viktora Collection Location: Hua Phan Province, Laos 81282
|