New Search Family, Subfamily and Tribe List

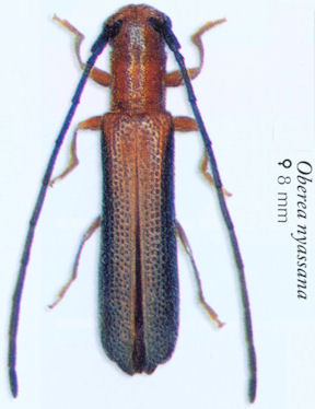
SubFamily Lamiinae

Tribe Saperdini
Oberea nyassana nyassana Breuning 1950

Sex: f
Photographer: Karl Adlbauer
Collection Location: Namibia
54875

130425