_White_China_BMNH_Oberea_KM.jpg)
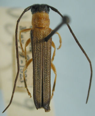
Saperda nigriceps White Specimen Type: holotype Institution: BMNH British Museum Natural History, London, UK Photographer: Keita Matsumoto Collection Location: Hong Kong, China 65888
|
_White_China_BMNH_Oberea_KM.jpg)
Saperda nigriceps White Specimen Type: holotype Institution: BMNH British Museum Natural History, London, UK Photographer: Keita Matsumoto Collection Location: Hong Kong, China 65889
|
_White_China_BMNH_Oberea_KM.jpg)
Saperda nigriceps White Specimen Type: holotype Institution: BMNH British Museum Natural History, London, UK Photographer: Keita Matsumoto Collection Location: Hong Kong, China 65890
|
_CAS.jpg)
Institution: CAS California Academy of Sciences, San Francisco, CA, USA Photographer: Larry G. Bezark Collection Location: Vietnam 54857
|

Oberea savioi Pic Institution: CAS California Academy of Sciences, San Francisco, CA, USA Photographer: Larry G. Bezark 54868
|
|