_Fisher_Indonesia_USNM.jpg)
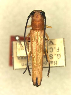
Oberea drescheri Fisher Specimen Type: holotype Sex: f Institution: NMNH United States National Museum, Washington, DC, USA Photographer: Steve Lingafelter Collection Location: Mt Slamat, Batoerradan, Central Java, Indonesia 54767
|
_Fisher_LIPI_Tangkoeban_Prahoe_Preanger_W_Java_LGB.jpg)
Oberea drescheri Fisher Specimen Type: paratype Institution: LIPI Lembaga Ilmu Pengetahuan, Bogor, Indonesia Photographer: Larry G. Bezark Collection Location: Mt Tangkoeban Prahoe, Preanger West Java 43926
|
_Fisher_LIPI_Tangkoeban_Prahoe_Preanger_W_Java_LGB.jpg)
Oberea drescheri Fisher Specimen Type: paratype Institution: LIPI Lembaga Ilmu Pengetahuan, Bogor, Indonesia Photographer: Larry G. Bezark Collection Location: Mt Tangkoeban Prahoe, Preanger West Java 43927
|
_Fisher_LIPI_Batoerraden_G_Slamat_C_Java_LGB.jpg)
Oberea drescheri Fisher Specimen Type: paratype Institution: LIPI Lembaga Ilmu Pengetahuan, Bogor, Indonesia Photographer: Larry G. Bezark Collection Location: Batoerraden, G Slamet, West Java 43928
|
_Fisher_LIPI_Batoerraden_G_Slamat_C_Java_LGB.jpg)
Oberea drescheri Fisher Specimen Type: paratype Institution: LIPI Lembaga Ilmu Pengetahuan, Bogor, Indonesia Photographer: Larry G. Bezark Collection Location: Batoerraden, G Slamet, West Java 43929
|

Oberea drescheri Fisher Institution: LIPI Lembaga Ilmu Pengetahuan, Bogor, Indonesia Photographer: Larry G. Bezark Collection Location: Preanger, Java 43930
|

Oberea drescheri Fisher Institution: LIPI Lembaga Ilmu Pengetahuan, Bogor, Indonesia Photographer: Larry G. Bezark Collection Location: Preanger, Java 43931
|

Oberea drescheri Fisher Institution: LIPI Lembaga Ilmu Pengetahuan, Bogor, Indonesia Photographer: Larry G. Bezark Collection Location: Gunung Leuser National Park, Aceh, Sumatra 43932
|

Oberea drescheri Fisher Institution: LIPI Lembaga Ilmu Pengetahuan, Bogor, Indonesia Photographer: Larry G. Bezark Collection Location: Gunung Leuser National Park, Aceh, Sumatra 43933
|

Oberea drescheri Fisher Institution: LIPI Lembaga Ilmu Pengetahuan, Bogor, Indonesia Photographer: Larry G. Bezark Collection Location: Preanger, Java 43934
|

Institution: LIPI Lembaga Ilmu Pengetahuan, Bogor, Indonesia Photographer: Larry G. Bezark 43958
|
|