_Martins_MNRJ_SWL_=_Aneuthetochorus_bivestitus.jpg)
Bomarion bivestitus Martins Specimen Type: holotype Institution: MNRJ Museu Nacional Universidade do Rio Janeiro, Brazil Photographer: Steve Lingafelter Collection Location: São Paulo (Jabaquara), São Paulo, Brazil 20104
|
_Martins_MNRJ_JAC_=_Aneuthetochorus.jpg)
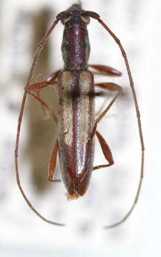
Bomarion bivestitus Martins Specimen Type: paratype Institution: MNRJ Museu Nacional Universidade do Rio Janeiro, Brazil Photographer: John Chemsak 15383
|