_Heller_NMNH_Los_Banos_Luzon_Nearns_now_erythrostoma.jpg)
Oberea albocuspis Heller Specimen Type: holotype Institution: NMNH United States National Museum, Washington, DC, USA Photographer: Gino Nearns Collection Location: Los Banos, Luzon, Philippines 54685
|

Institution: CAS California Academy of Sciences, San Francisco, CA, USA Photographer: Larry G. Bezark 54773
|

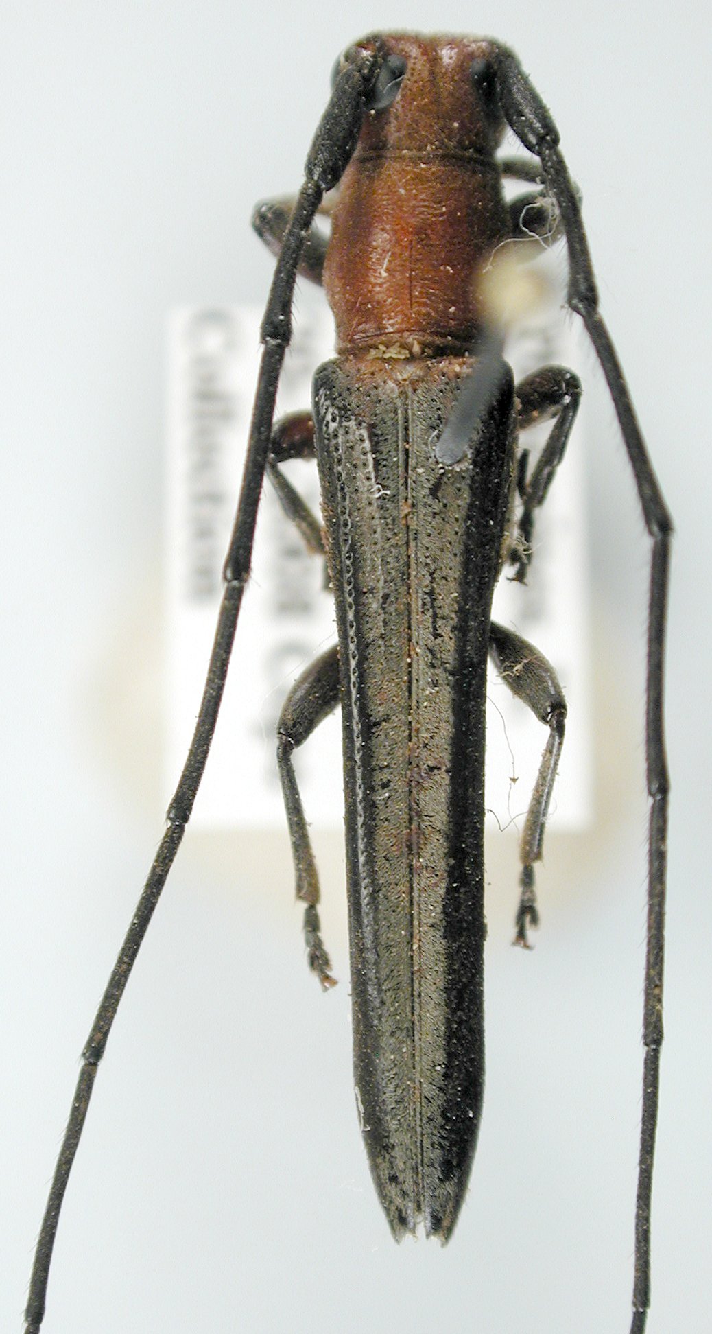
Oberea makilingi Heller Institution: CAS California Academy of Sciences, San Francisco, CA, USA Photographer: Larry G. Bezark Collection Location: Mt Makiling, Luzon, Philippines 54817
|

Institution: JCPC Jim Cope Collection, San Jose, California, USA now at CSCA, Sacramento Photographer: Larry G. Bezark Determiner: Jim Cope Collection Location: Aurora, Sierra Madre, E Luzon, Philippines 99266
|

Institution: JCPC Jim Cope Collection, San Jose, California, USA now at CSCA, Sacramento Photographer: Larry G. Bezark Determiner: Jim Cope Collection Location: Aurora, Sierra Madre, E Luzon, Philippines 99267
|

Institution: JCPC Jim Cope Collection, San Jose, California, USA now at CSCA, Sacramento Photographer: Larry G. Bezark Determiner: Jim Cope Collection Location: Aurora, Sierra Madre, E Luzon, Philippines 99268
|
|