 MNHN Goias or Minas Gerais, Brazil now Aleiphaq Moure.jpg)
Tillomorpha castanea Gounelle Specimen Type: syntype Institution: MNHN Museum of Natural History Paris, France Photographer: JS Moure Collection Location: Goias or Minas Gerais, Brazil 102064
|
_Martins_Mus_Univ_Sao_Paolo_JAC_=_Aleiphaquilon_castaneum.jpg)
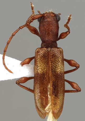
Aleiphaquilon unicolor Martins Specimen Type: holotype Sex: m Institution: MZSP Museu de Zoologia da Universidade de São Paulo, Brazil Photographer: John Chemsak Collection Location: Buritís (Ribeirão Confins), Minas Gerais, Brazil 15108
|
 Sergipe, Brazil Nasc pic.jpg)
Institution: MZFS Universidade Estadual de Feira de Santana, Bahia State, Brazil Photographer: Francisco Nascimento Collection Location: Propriá, Sergipe, Brazil 78286
|
_Lingafelter_06.jpg)
Photographer: Steve Lingafelter 21056
|
_Bolivia_Wappes_Photo.jpg)
Photographer: Jim Wappes Collection Location: Bolivia 4112
|
|