_Br_CNC_Ulguru_Mtns_Tanz_Laplante.jpg)
Specimen Type: holotype Institution: CNC Canadian National Collection of Insects, Ottawa, Ontario, Canada Photographer: Serge Laplante, photograph and data Determiner: Copyright of
Agriculture & Agri Food Canada Collection Location: Uluguru Mountains, Tanzania 63215
|
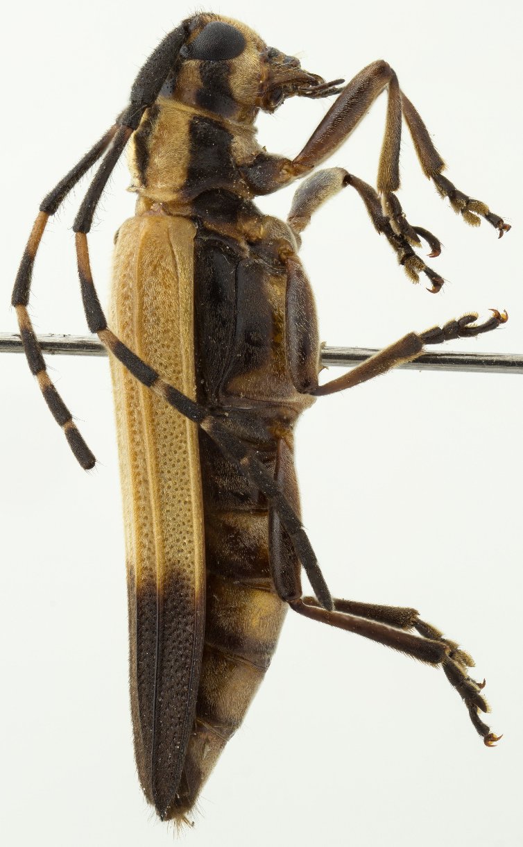
_Br_CNC_Ulguru_Mtns_Tanz_Laplante.jpg)
Specimen Type: holotype Institution: CNC Canadian National Collection of Insects, Ottawa, Ontario, Canada Photographer: Serge Laplante, photograph and data Determiner: Copyright of
Agriculture & Agri Food Canada Collection Location: Uluguru Mountains, Tanzania 63216
|
_Br_CNC_Ulguru_Mtns_Tanz_Laplante.jpg)
Specimen Type: holotype Institution: CNC Canadian National Collection of Insects, Ottawa, Ontario, Canada Photographer: Serge Laplante, photograph and data Determiner: Copyright of
Agriculture & Agri Food Canada Collection Location: Uluguru Mountains, Tanzania 63217
|
|