_Galileo_Martins_DZUP_Marica_RJ_Braz.jpg)
Specimen Type: holotype Sex: m Institution: DZUP Univ Federal do Paraná, Museu de Ent Pe. Jesus Santiago, Moure, Curitiba, Paraná, Brazil Photographer: Antonio Santos-Silva Collection Location: Marica, Rio de Janeiro, Brazil 53510
|
_Galileo_Martins_DZUP_Marica_RJ_Braz.jpg)
Specimen Type: holotype Sex: m Institution: DZUP Univ Federal do Paraná, Museu de Ent Pe. Jesus Santiago, Moure, Curitiba, Paraná, Brazil Photographer: Antonio Santos-Silva Collection Location: Marica, Rio de Janeiro, Brazil 64406
|
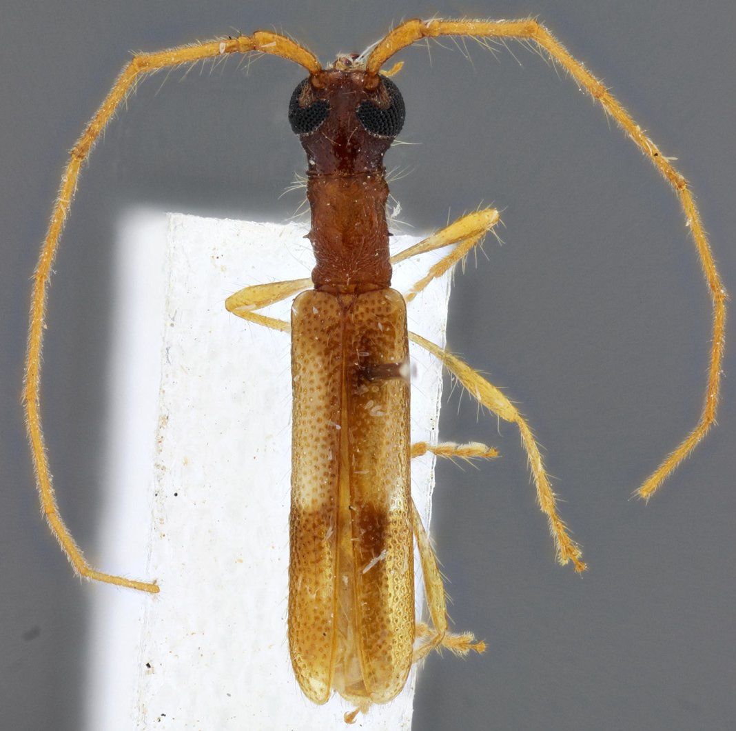
_Galileo_and_Martins_Iheringia.jpg)
Specimen Type: holotype Sex: m Institution: DZUP Univ Federal do Paraná, Museu de Ent Pe. Jesus Santiago, Moure, Curitiba, Paraná, Brazil Collection Location: Marica, Rio de Janeiro, Brazil 21835
|
|