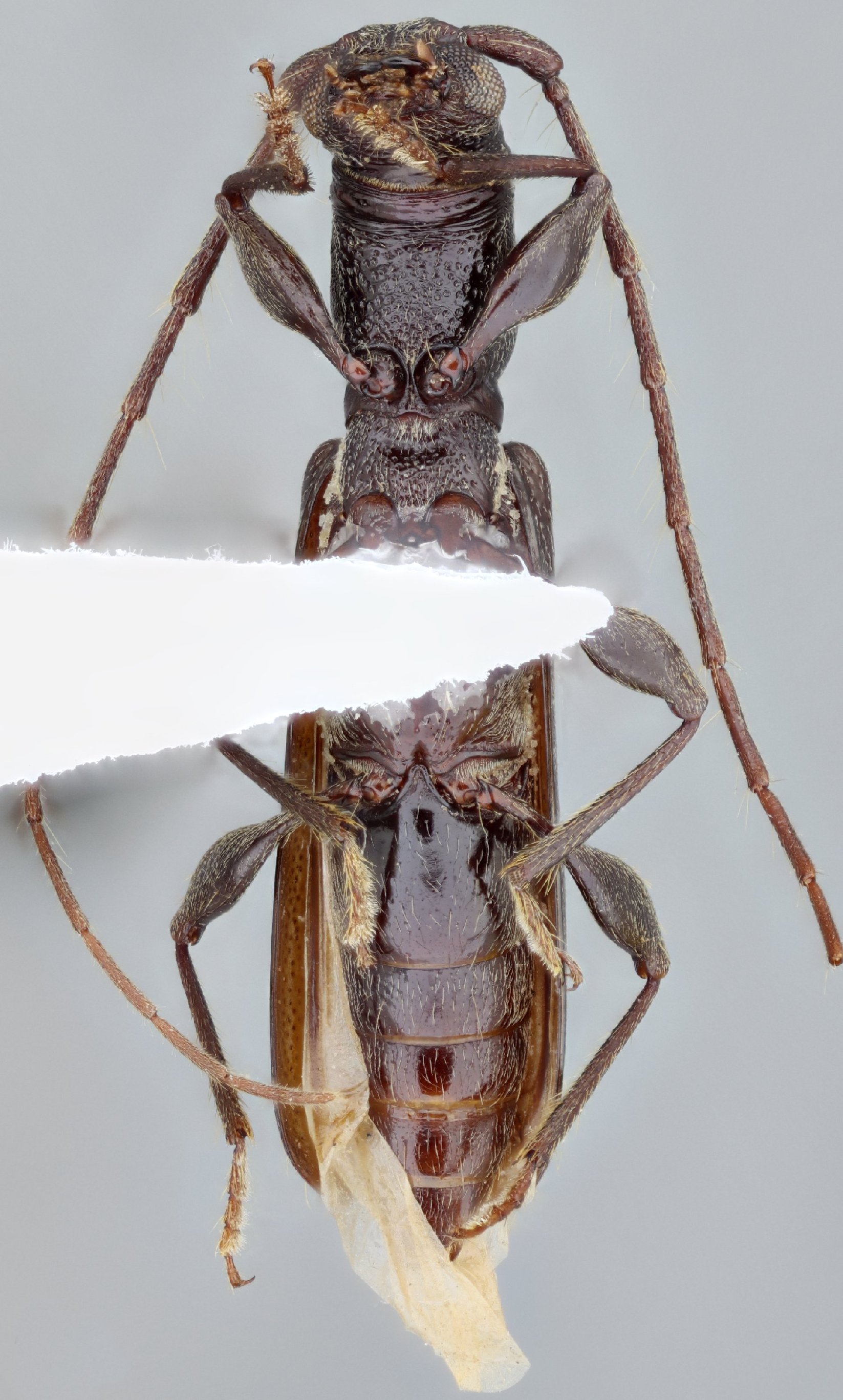
_Martins_CAS_10313.jpg)
Specimen Type: holotype Sex: m Institution: CAS California Academy of Sciences, San Francisco, CA, USA Collection Location: 23 mi S Matias Romero, Oaxaca, Mexico 28000
|
_Martins_CAS.jpg)
Specimen Type: allotype Sex: f Institution: CAS California Academy of Sciences, San Francisco, CA, USA Photographer: Larry G. Bezark Collection Location: 23 mi S Matias Romero, Oaxaca, Mexico 14716
|
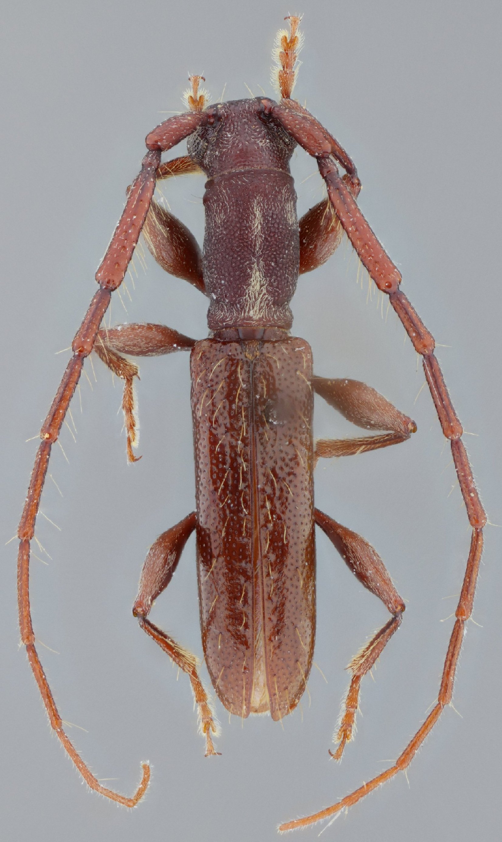
_G_M_MZSP_La_Pacifica_vic_Canas_GU_Costa_Rica_now_genuina_SS.jpg)
Xalitla lezamai Galileo & Martins Specimen Type: holotype Sex: m Institution: MZSP Museu de Zoologia da Universidade de São Paulo, Brazil Photographer: Antonio Santos-Silva Collection Location: La Pacifica, vicinity of Canas, Guanacaste, Costa Rica 72088
|
_G_M_MZSP_La_Pacifica_vic_Canas_GU_Costa_Rica_now_genuina_SS.jpg)
Xalitla lezamai Galileo & Martins Specimen Type: holotype Sex: m Institution: MZSP Museu de Zoologia da Universidade de São Paulo, Brazil Photographer: Antonio Santos-Silva Collection Location: La Pacifica, vicinity of Canas, Guanacaste, Costa Rica 72089
|
_G_M_MZSP_La_Pacifica_vic_Canas_GU_Costa_Rica_now_genuina_SS.jpg)
Xalitla lezamai Galileo & Martins Specimen Type: holotype Sex: m Institution: MZSP Museu de Zoologia da Universidade de São Paulo, Brazil Photographer: Antonio Santos-Silva Collection Location: La Pacifica, vicinity of Canas, Guanacaste, Costa Rica 72090
|
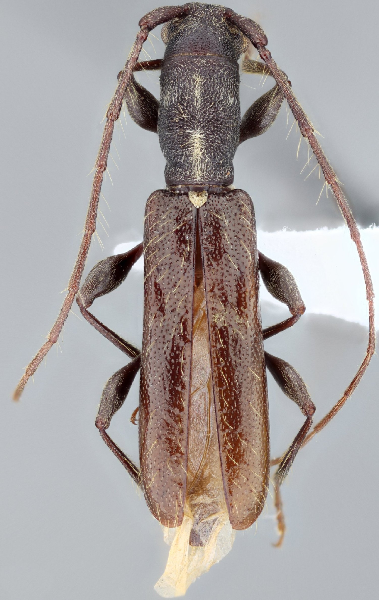
_Martins_EMEC_31miSE_Comitan_Chiapas_Mexico_SS.jpg)
Specimen Type: paratype Sex: m Institution: EMEC Essig Museum of Entomology, Berkeley, CA, USA Photographer: Antonio Santos-Silva Collection Location: 31 mi SE Comitan, Chiapas, Mexico 72085
|
_Martins_EMEC_31miSE_Comitan_Chiapas_Mexico_SS.jpg)
Specimen Type: paratype Sex: m Institution: EMEC Essig Museum of Entomology, Berkeley, CA, USA Photographer: Antonio Santos-Silva Collection Location: 31 mi SE Comitan, Chiapas, Mexico 72086
|
_Martins_EMEC_31miSE_Comitan_Chiapas_Mexico_SS.jpg)
Specimen Type: paratype Sex: m Institution: EMEC Essig Museum of Entomology, Berkeley, CA, USA Photographer: Antonio Santos-Silva Collection Location: 31 mi SE Comitan, Chiapas, Mexico 72087
|
_Martins_ACMT_Zamarano_Central_Francisco_Morazan_Honduras_SS.jpg)
Sex: f Institution: ACMT American Coleoptera Collection, Texas (now at FSCA) Photographer: Antonio Santos-Silva Collection Location: Zamarano Central, Francisco Morazan, Honduras 72091
|
_Martins_ACMT_Zamarano_Central_Francisco_Morazan_Honduras_SS.jpg)
Sex: f Institution: ACMT American Coleoptera Collection, Texas (now at FSCA) Photographer: Antonio Santos-Silva Collection Location: Zamarano Central, Francisco Morazan, Honduras 72092
|
_Martins_ACMT_Zamarano_Central_Francisco_Morazan_Honduras_SS.jpg)
Sex: f Institution: ACMT American Coleoptera Collection, Texas (now at FSCA) Photographer: Antonio Santos-Silva Collection Location: Zamarano Central, Francisco Morazan, Honduras 72093
|
_Martins_ACMT_Zamarano_Central_Francisco_Morazan_Honduras_SS.jpg)
Sex: f Institution: ACMT American Coleoptera Collection, Texas (now at FSCA) Photographer: Antonio Santos-Silva Collection Location: Zamarano Central, Francisco Morazan, Honduras 72094
|
_Martins_ACMT_Zamarano_Central_Francisco_Morazan_Honduras_SS.jpg)
Sex: f Institution: ACMT American Coleoptera Collection, Texas (now at FSCA) Photographer: Antonio Santos-Silva Collection Location: Zamarano Central, Francisco Morazan, Honduras 72095
|
|