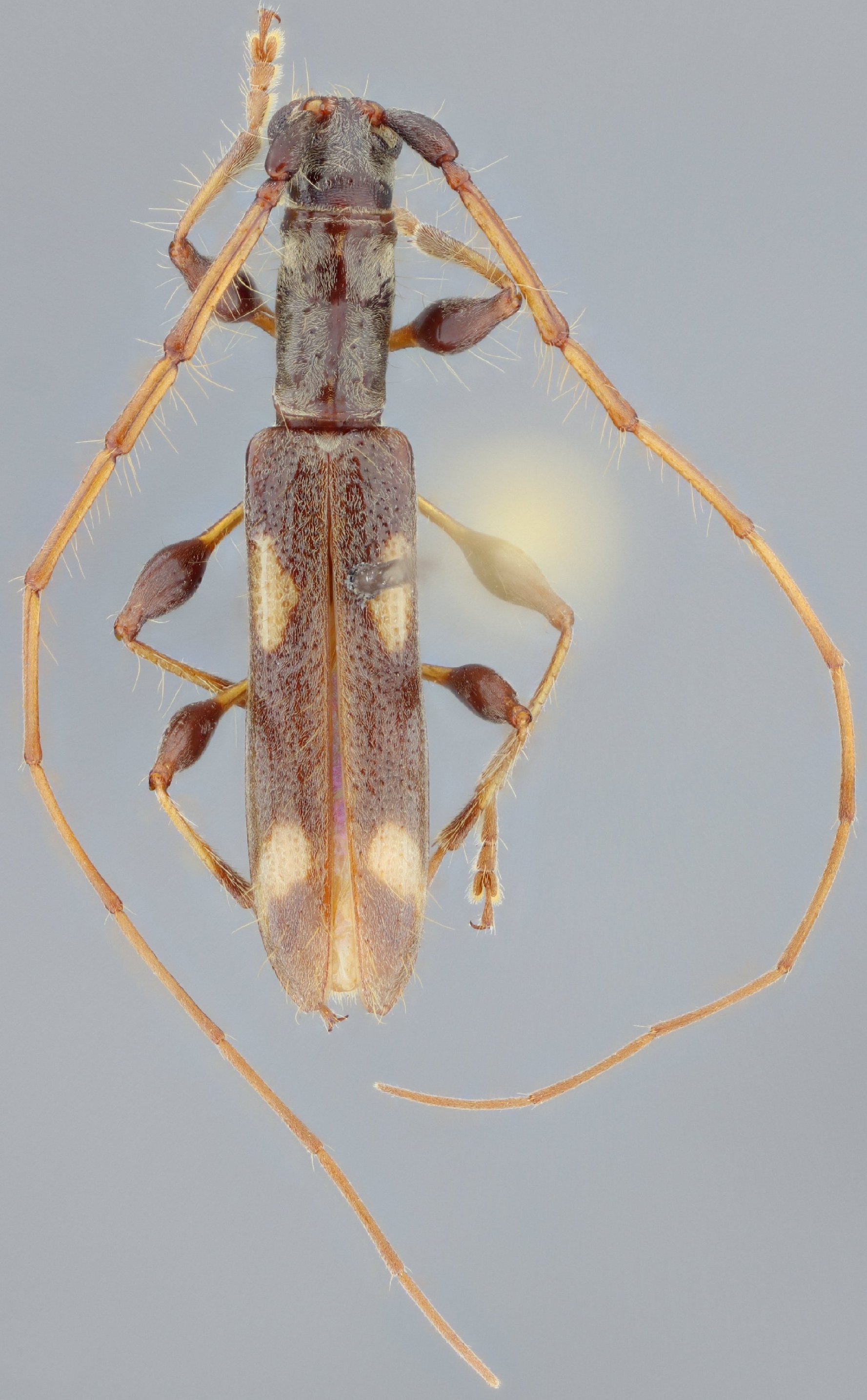
_Giesbert_El_Progresso_Guatemala_Giesbert_Coll_FSCA.jpg)
Specimen Type: paratype Institution: EMG Ed Giesbert Collection (now at FSCA) Collection Location: El Progresso, Guatemala 10494
|
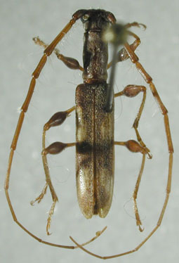
_Giesbert_MZSP_SS.jpg)
Sex: m Institution: LGBC Larry G. Bezark Collection, Sacramento, California, USA Photographer: Antonio Santos-Silva Collection Location: La Sepultura, Hwy 190, 12.3-16.3, km N Arriaga, Chiapas, Mexico 70100
|
_Giesbert_MZSP_SS.jpg)
Sex: m Institution: LGBC Larry G. Bezark Collection, Sacramento, California, USA Photographer: Antonio Santos-Silva Collection Location: La Sepultura, Hwy 190, 12.3-16.3, km N Arriaga, Chiapas, Mexico 70102
|
_Giesbert_MZSP_SS.jpg)
Sex: m Institution: LGBC Larry G. Bezark Collection, Sacramento, California, USA Photographer: Antonio Santos-Silva Collection Location: La Sepultura, Hwy 190, 12.3-16.3, km N Arriaga, Chiapas, Mexico 70101
|
_Giesbert_MZSP_SS.jpg)
Sex: m Institution: LGBC Larry G. Bezark Collection, Sacramento, California, USA Photographer: Antonio Santos-Silva Collection Location: La Sepultura, Hwy 190, 12.3-16.3, km N Arriaga, Chiapas, Mexico 70103
|
|