_ZMHB_Turrialba_Cartago_CR_SWL.jpg)
Specimen Type: holotype Sex: m Institution: ZMHB Museum für Naturkunde der Humboldt-Universität, Berlin, Germany Photographer: Steve Lingafelter Collection Location: Turrialba, Cartago, Costa Rica 29785
|

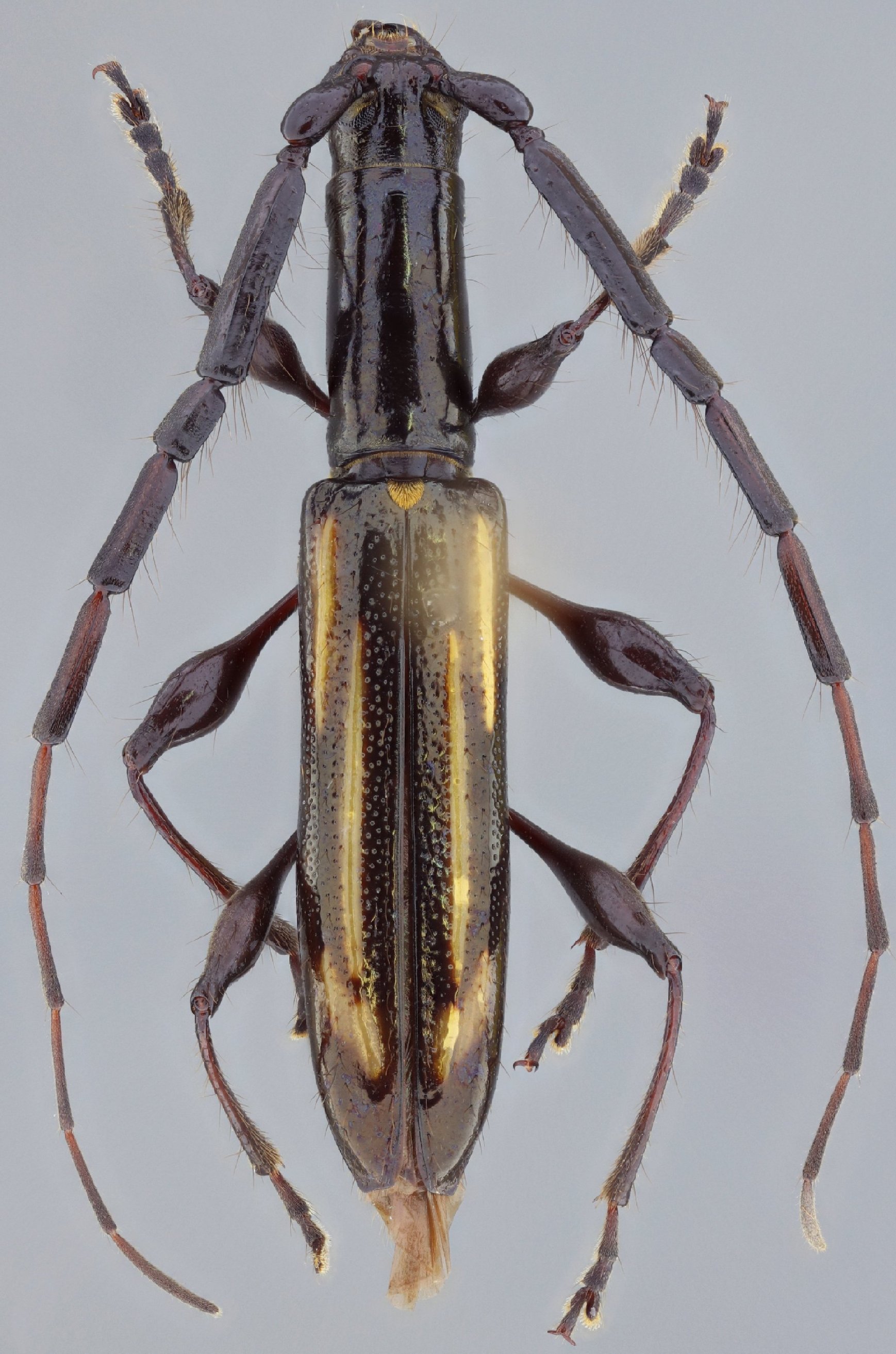
Institution: EMG Ed Giesbert Collection (now at FSCA) Collection Location: Izabal, Guatemala 10484
|

Institution: LGBC Larry G. Bezark Collection, Sacramento, California, USA Photographer: Larry G. Bezark Determiner: Santos-Silva Collection Location: Monteverde, Costa Rica 23066
|
_Martins_LGBC_Monteverde_Puntarenas_Costa_Rica.jpg)
Institution: LGBC Larry G. Bezark Collection, Sacramento, California, USA Photographer: Martins Collection Location: Monteverde, Puntarenas, Costa Rica 70225
|

Institution: LGBC Larry G. Bezark Collection, Sacramento, California, USA Photographer: Martins Collection Location: Las Cuevas Biological Station, Cayo District, Belize 70226
|
_Martins_LGBC_Las_Cuevas_Biol_Stat_Cayo_Belize.jpg)
Institution: LGBC Larry G. Bezark Collection, Sacramento, California, USA Photographer: Martins Collection Location: Las Cuevas Biological Station, Cayo District, Belize 70227
|

Institution: LGBC Larry G. Bezark Collection, Sacramento, California, USA Photographer: Martins Collection Location: Laguna Seca, 8 km N Gallon Jug, Orange Walk, District, Belize 70228
|
_Martins_LGBC_Orange_Walk_Belize.jpg)
Institution: LGBC Larry G. Bezark Collection, Sacramento, California, USA Photographer: Martins Collection Location: Laguna Seca, 8 km N Gallon Jug, Orange Walk, District, Belize 70229
|
_ Martins_MZSP_Bastimentos_Isl_vic_Red_Frog_Beach_Bocas_del_Toro_Panama.jpg)
Sex: f Institution: MZSP Museu de Zoologia da Universidade de São Paulo, Brazil Photographer: Antonio Santos-Silva Collection Location: Bastimentos Island, vic Red Frog Beach, Bocas del Toro, Panama 72183
|
|