_Thomson_MNHN_FTH_=_Neocompsa_textilis.jpg)
Ibidion textile Thomson Specimen Type: holotype Sex: f Institution: MNHN Museum of Natural History Paris, France Collection Location: Costa Rica 16929
|

Institution: University of Costa Rica Photographer: Humberto Lezama Collection Location: San Pedro, Costa Rica 68564
|
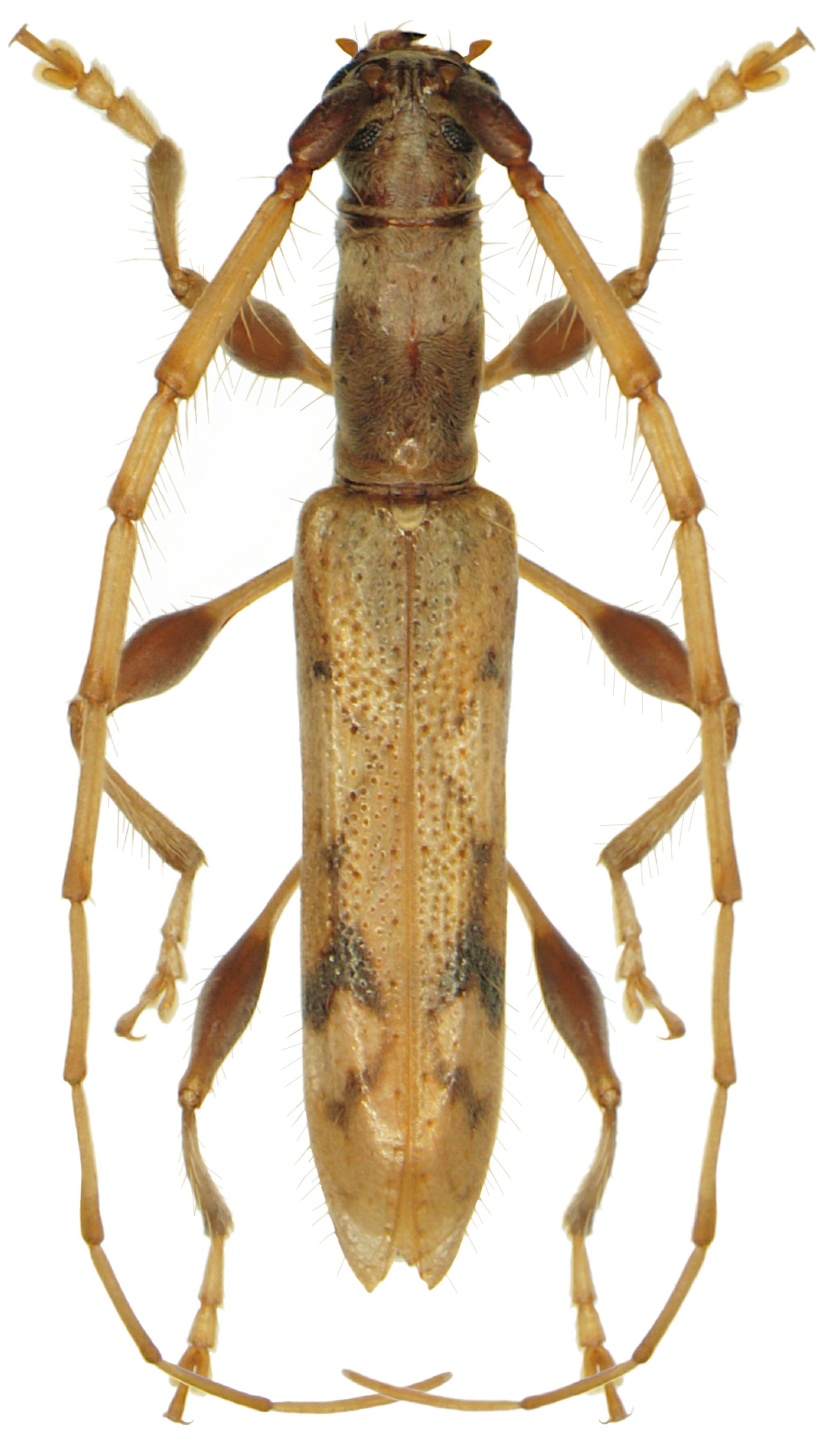
_(Thomson)_MZSP_Yucatan_Mexico_SS.jpg)
Sex: m Institution: MZSP Museu de Zoologia da Universidade de São Paulo, Brazil Photographer: Antonio Santos-Silva Collection Location: Yucatan, Mexico 70098
|
_(Thomson)_MZSP_Yucatan_Mexico_SS.jpg)
Sex: m Institution: MZSP Museu de Zoologia da Universidade de São Paulo, Brazil Photographer: Antonio Santos-Silva Collection Location: Yucatan, Mexico 70099
|
_BCA.jpg)
Institution: BCA Biologia Centrali Americana 10482
|
_LGB.jpg)
Photographer: Larry G. Bezark 10483
|