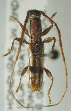
_BMNH_Ruatan_IS_Honduras_nowNeocompsa_LGB.jpg)
Ibidion ruatanum Bates Specimen Type: holotype Sex: m Institution: BMNH British Museum Natural History, London, UK Photographer: Larry G. Bezark Collection Location: Ruatan Island, Honduras 46906
|
_Isla_Roatan_Honduras_Giesbert_Coll_FSCA.jpg)
Institution: EMG Ed Giesbert Collection (now at FSCA) Collection Location: Ruatan Island, Honduras 10471
|