New Search Family, Subfamily and Tribe List

SubFamily Lamiinae

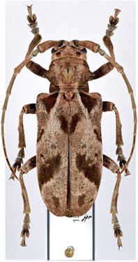
Tribe Phrynetini
Phryneta hecphora Thomson 1857

Sex: f
Photographer: JP Roguet, https://lamiinae.org
Collection Location: Kloto Forest, Togo
56710


Photographer: Larry G. Bezark
Determiner: Francesco Vitali, Cerambycoidea Forum
Collection Location: Kubease, Ghana
56711

130425