 Pascoe BMNH Angola now Homelix crib KM.jpg)
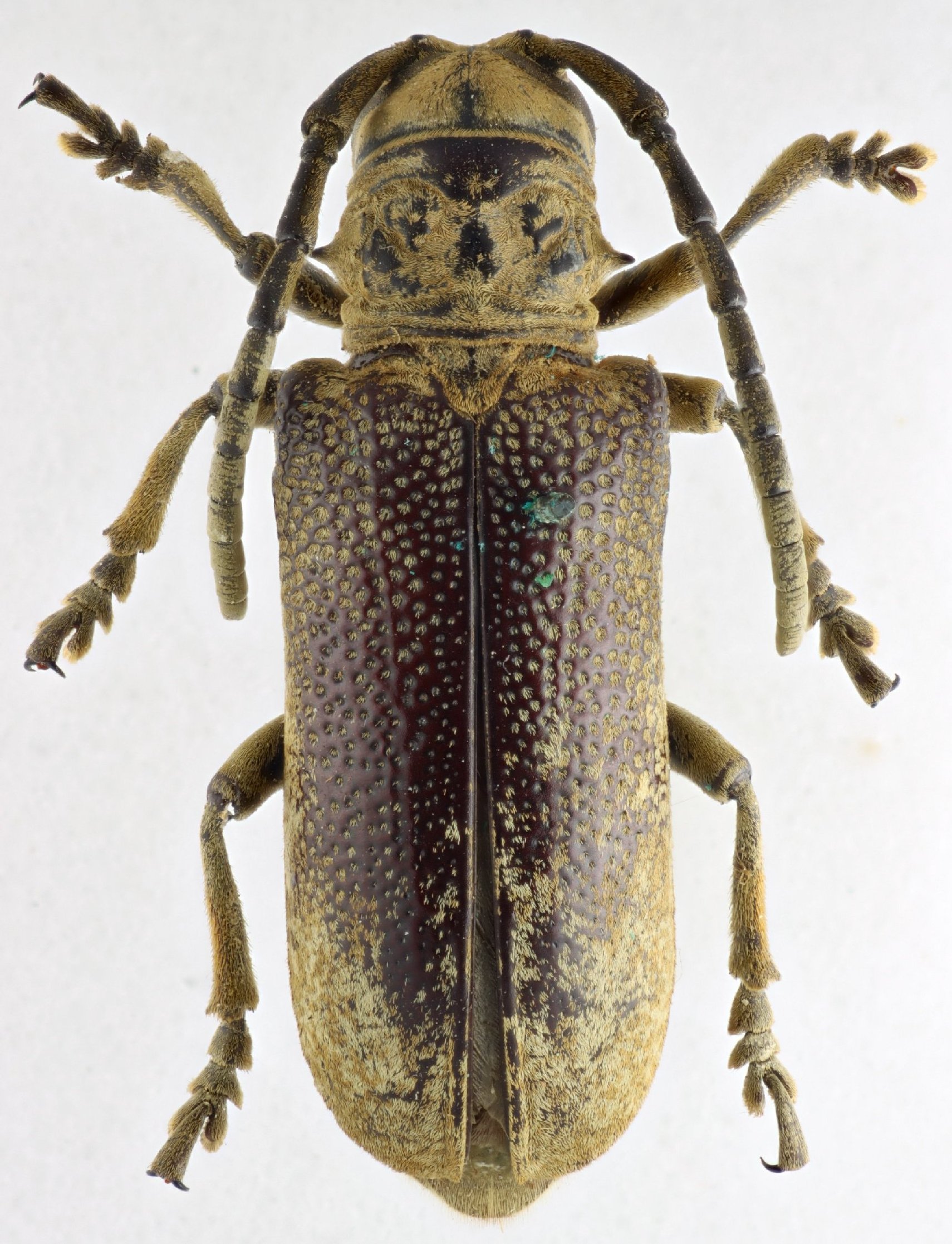
Psycholupis fahraei Pascoe Specimen Type: holotype Sex: f Institution: BMNH British Museum Natural History, London, UK Photographer: Keita Matsumoto Collection Location: Angola 91044
|
 Pascoe BMNH Angola now Homelix crib KM.jpg)
Psycholupis fahraei Pascoe Specimen Type: holotype Sex: f Institution: BMNH British Museum Natural History, London, UK Photographer: Keita Matsumoto Collection Location: Angola 91045
|
_cribratipennis_(f)_Thomson_Kayanza_Burundi_JP_Roguet_photo.jpg)
Sex: f Photographer: JP Roguet, https://lamiinae.org Collection Location: Kayanza, Burundi 50900
|
_cribratipennis2_(f)_Thomson_Kayanza_Burundi_JP_Roguet_photo.jpg)
Sex: f Photographer: JP Roguet, https://lamiinae.org Collection Location: Kayanza, Burundi 50901
|

Institution: LGBC Larry G. Bezark Collection, Sacramento, California, USA Photographer: Larry G. Bezark Determiner: Jerome Sudre, Cerambycoidea Forum Collection Location: Pamora, Uganda 50912
|

Photographer: Gerard Chemin, Cerambycoidea Forum Collection Location: Ivory Coast 50913
|
|