New Search Family, Subfamily and Tribe List

SubFamily Cerambycinae

Tribe Callidiopini
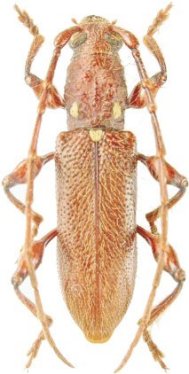
Ceresium triguttatum Holzschuh 2015

Specimen Type: holotype
Sex: f
Institution: Holzschuh Collection
Photographer: Luboš Dembický
Determiner: Les Cahiers Magellanes
Collection Location: Tawau, Sabah, Borneo
58386

130425