New Search Family, Subfamily and Tribe List

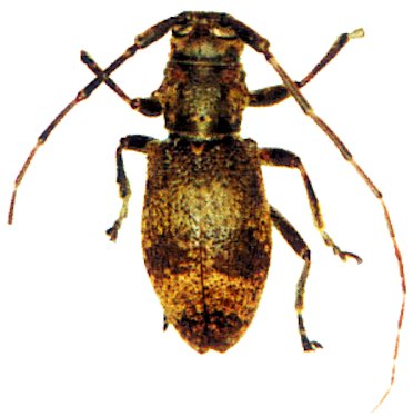
SubFamily Lamiinae

Tribe Morimopsini
Pseudobrimus nigrovittatus Breuning 1959

Determiner: Les Cahiers Magellanes
Collection Location: Tanzania
58062

130425