New Search Family, Subfamily and Tribe List

SubFamily Cerambycinae

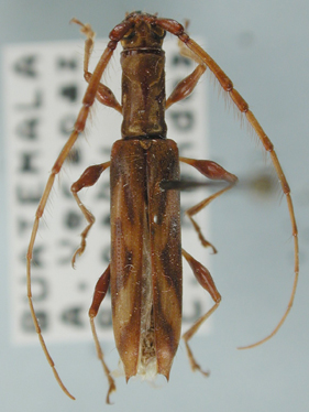
Tribe Tropidini Compsina
Neocompsa mendezi Giesbert 1998

Specimen Type: holotype
Sex: f
Institution: UCB Essig Museum of Entomology, Berkeley, California, USA
Collection Location: Senahú, Alta Verapaz, Guatemala
17501

130425