_Martins_CAS_JAC.jpg)
Specimen Type: holotype Sex: m Institution: CAS California Academy of Sciences, San Francisco, CA, USA Photographer: John Chemsak Collection Location: Suchiapa, Chiapas, Mexico 17500
|
_Martins_CAS_10308.jpg)
Specimen Type: holotype Sex: m Institution: CAS California Academy of Sciences, San Francisco, CA, USA Photographer: Larry G. Bezark Collection Location: Suchiapa, Chiapas, Mexico 23528
|
_Jalisco_Mexico_SS.jpg)
Sex: m Photographer: Antonio Santos-Silva Collection Location: Jalisco, Mexico 70083
|
_Jalisco_Mexico_SS.jpg)
Sex: m Photographer: Antonio Santos-Silva Collection Location: Jalisco, Mexico 70084
|
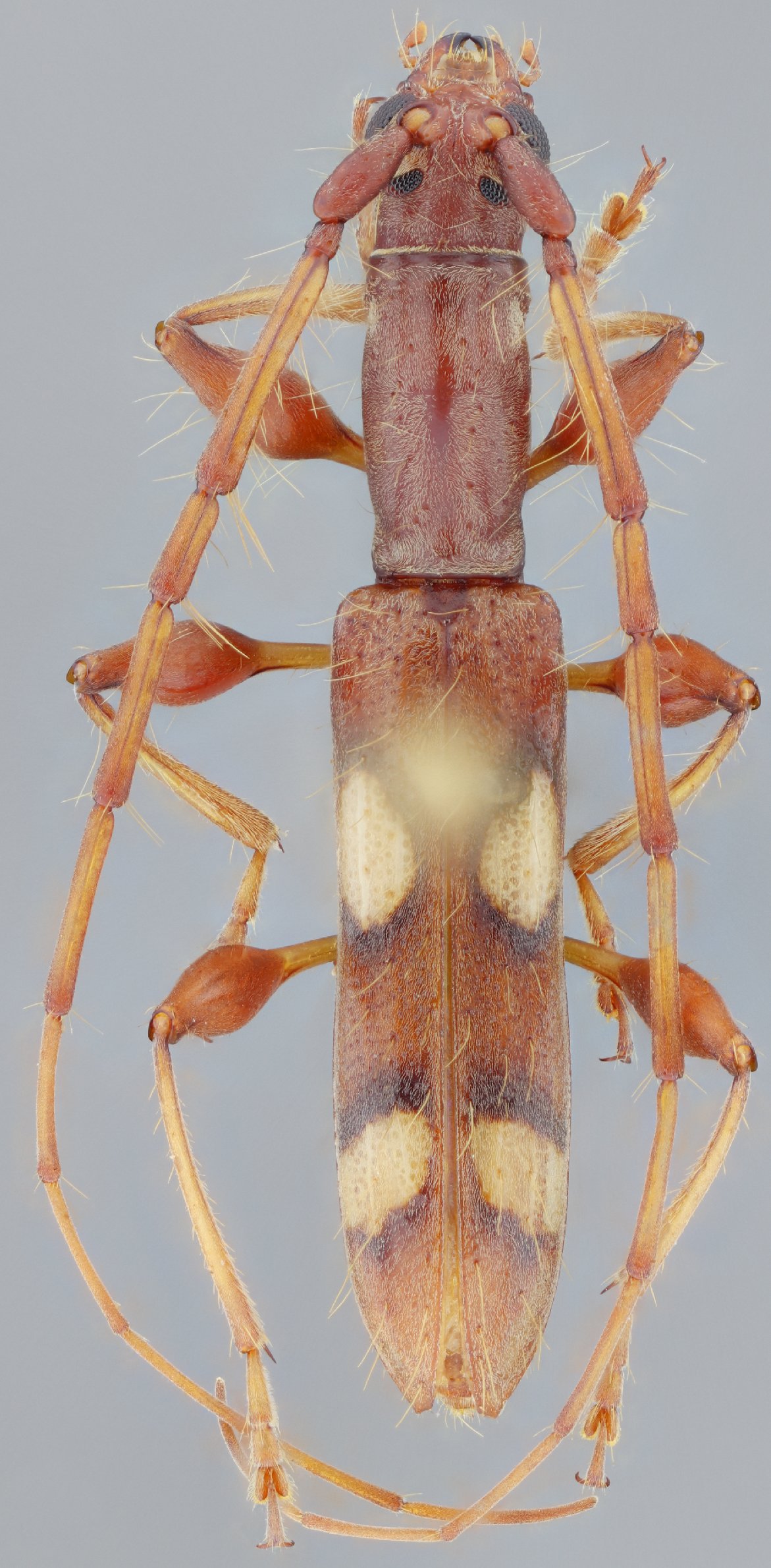
_Oaxaca_Mexico_SS.jpg)
Sex: m Photographer: Antonio Santos-Silva Collection Location: Oaxaca, Mexico 70085
|
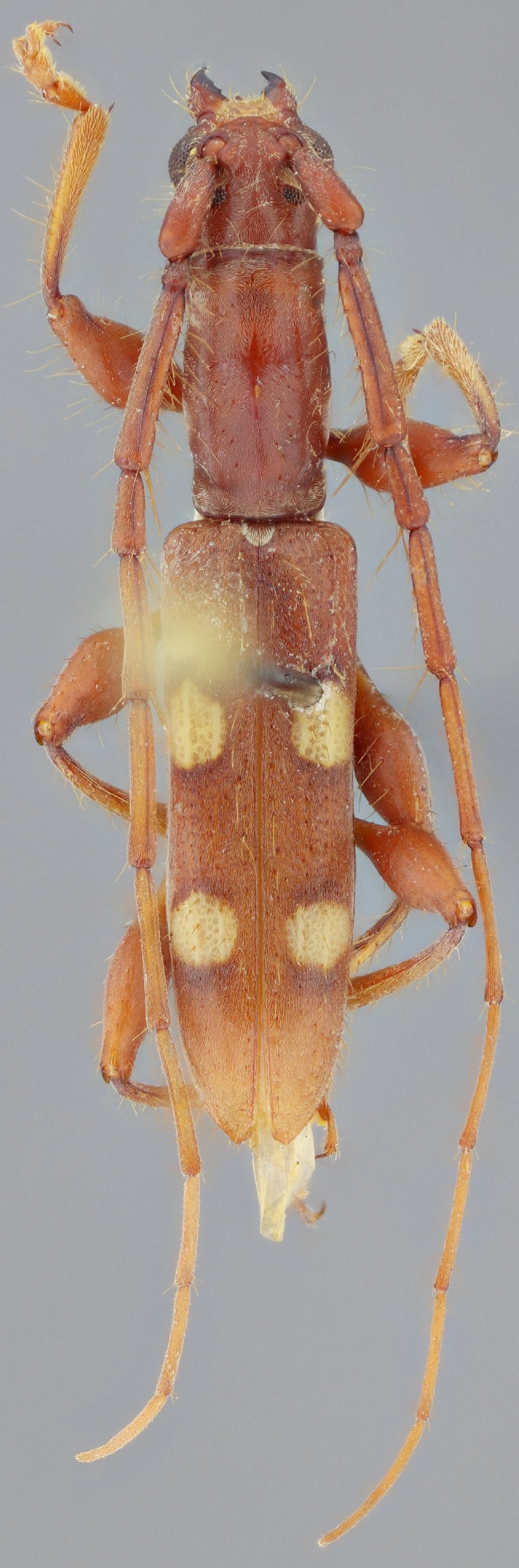
_Oaxaca_Mexico_SS.jpg)
Sex: m Photographer: Antonio Santos-Silva Collection Location: Oaxaca, Mexico 70086
|

Institution: EMG Ed Giesbert Collection (now at FSCA) Collection Location: La Reforma, Oaxaca, Mexico 10454
|
_Martins_DJH_Zamorano_Francisco_Morazan_Honduras_SS.jpg)
Sex: m Institution: Heffern Collection Photographer: Antonio Santos-Silva Collection Location: Zamorano, Francisco Morazan, Honduras 71536
|
|