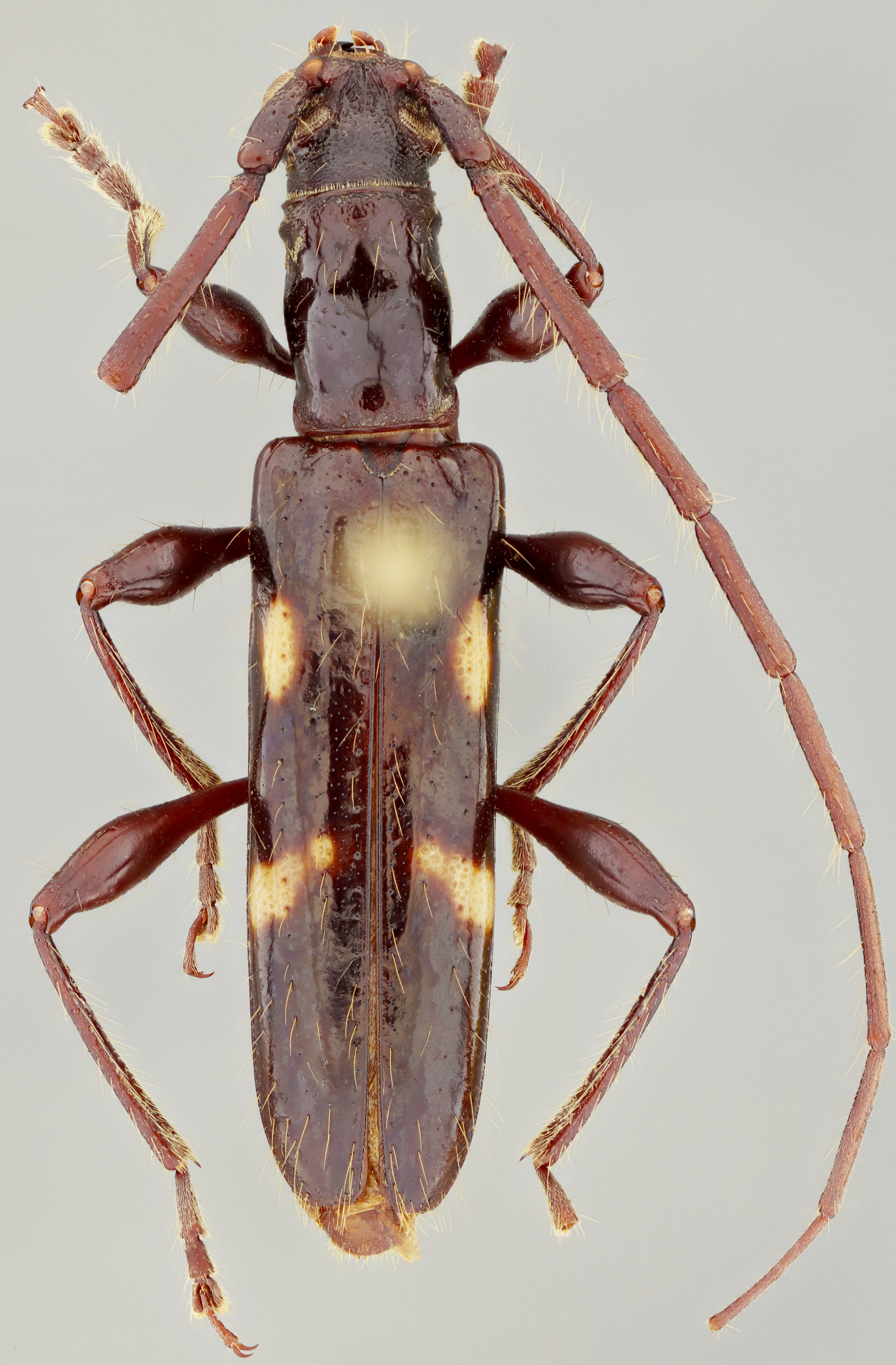
_G_and_SS_NMNH_Barranca_de_agua_San_Antonio_Colima_Mex_ss.jpg)
Specimen Type: holotype Sex: m Institution: NMNH United States National Museum, Washington, DC, USA Photographer: Antonio Santos-Silva Collection Location: Barranca de agua, San Antonio, Colima, Mexico 53312
|
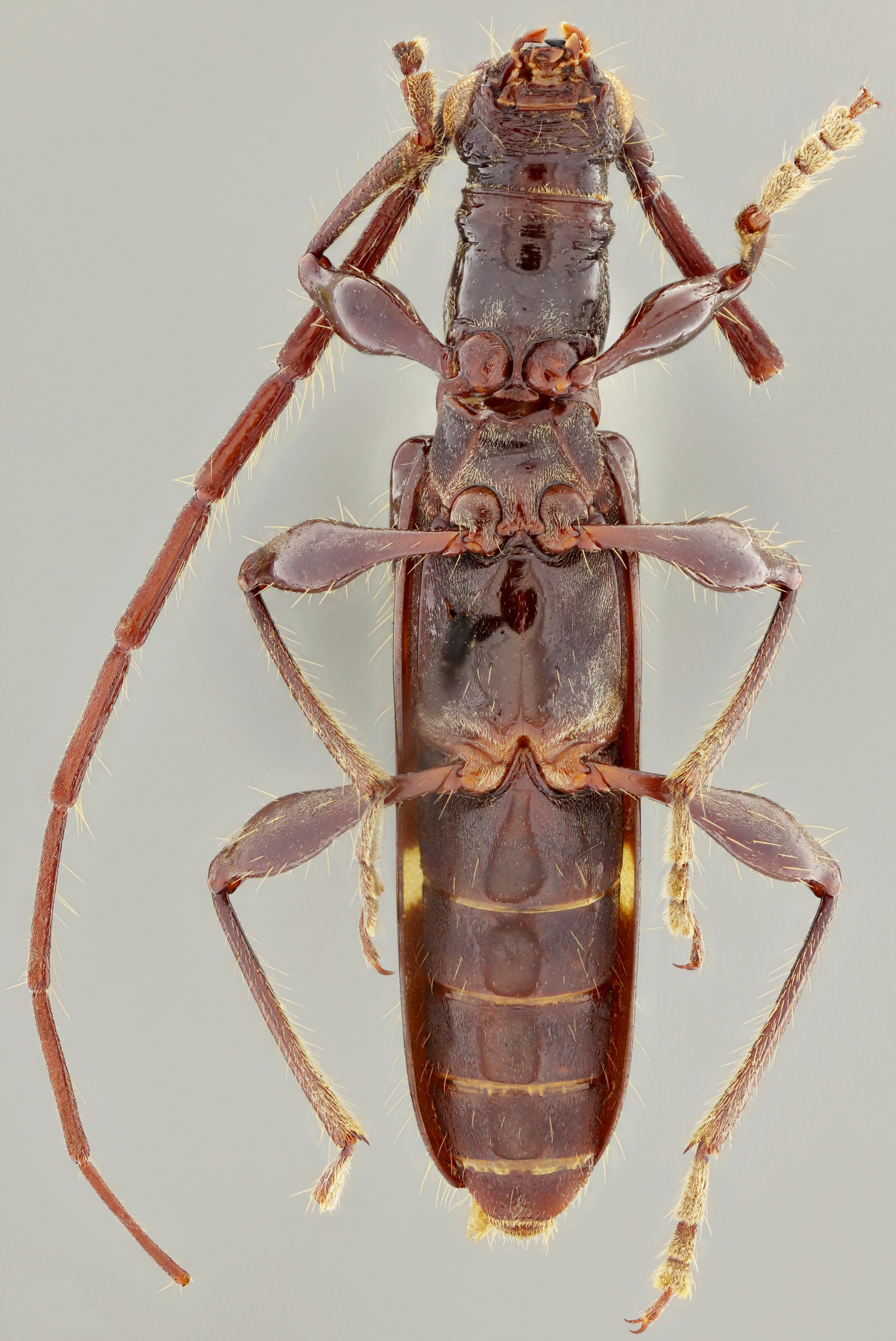
_G_and_SS_NMNH_Barranca_de_agua_San_Antonio_Colima_Mex_ss.jpg)
Specimen Type: holotype Sex: m Institution: NMNH United States National Museum, Washington, DC, USA Photographer: Antonio Santos-Silva Collection Location: Barranca de agua, San Antonio, Colima, Mexico 53313
|
_G_and_SS_NMNH_Barranca_de_agua_San_Antonio_Colima_Mex_ss.jpg)
Specimen Type: holotype Sex: m Institution: NMNH United States National Museum, Washington, DC, USA Photographer: Antonio Santos-Silva Collection Location: Barranca de agua, San Antonio, Colima, Mexico 53314
|
_Gal_SS_MZSP_La_Yerbabuena_Jalisco_Mexico_SS.jpg)
Sex: m Institution: MZSP Museu de Zoologia da Universidade de São Paulo, Brazil Photographer: Antonio Santos-Silva Collection Location: La Yerbabuena, Jalisco, Mexico 70955
|
_Gal_SS_MZSP_La_Yerbabuena_Jalisco_Mexico_SS.jpg)
Sex: m Institution: MZSP Museu de Zoologia da Universidade de São Paulo, Brazil Photographer: Antonio Santos-Silva Collection Location: La Yerbabuena, Jalisco, Mexico 70956
|
_Gal_SS_MZSP_La_Yerbabuena_Jalisco_Mexico_SS.jpg)
Sex: m Institution: MZSP Museu de Zoologia da Universidade de São Paulo, Brazil Photographer: Antonio Santos-Silva Collection Location: La Yerbabuena, Jalisco, Mexico 70957
|
_Gal_SS_MZSP_La_Yerbabuena_Jalisco_Mexico_SS.jpg)
Sex: m Institution: MZSP Museu de Zoologia da Universidade de São Paulo, Brazil Photographer: Antonio Santos-Silva Collection Location: La Yerbabuena, Jalisco, Mexico 70958
|
_Gal_SS_LGBC_vic_Manzanillo_El_Naranjo_Colima_Mex_SS.jpg)
Sex: f Institution: LGBC Larry G. Bezark Collection, Sacramento, California, USA Photographer: Antonio Santos-Silva Collection Location: vic Manzanillo, El Naranjo, Colima, Mexico 70959
|
_Gal_SS_LGBC_vic_Manzanillo_El_Naranjo_Colima_Mex_SS.jpg)
Sex: f Institution: LGBC Larry G. Bezark Collection, Sacramento, California, USA Photographer: Antonio Santos-Silva Collection Location: vic Manzanillo, El Naranjo, Colima, Mexico 70960
|
_Gal_SS_LGBC_vic_Manzanillo_El_Naranjo_Colima_Mex_SS.jpg)
Sex: f Institution: LGBC Larry G. Bezark Collection, Sacramento, California, USA Photographer: Antonio Santos-Silva Collection Location: vic Manzanillo, El Naranjo, Colima, Mexico 70961
|
_Gal_SS_LGBC_vic_Manzanillo_El_Naranjo_Colima_Mex_SS.jpg)
Sex: f Institution: LGBC Larry G. Bezark Collection, Sacramento, California, USA Photographer: Antonio Santos-Silva Collection Location: vic Manzanillo, El Naranjo, Colima, Mexico 70962
|
|