New Search Family, Subfamily and Tribe List

SubFamily Apatophyseinae

Tribe
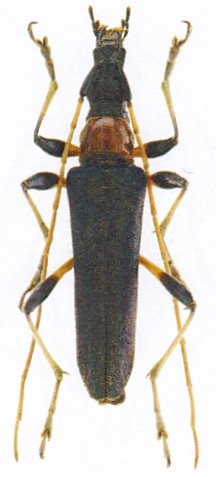
Phithryonus luteicornis Villiers, Quentin & Vives 2011

Specimen Type: paratype
Sex: m
Institution: Vives Collection
Photographer: Eduard Vives
Collection Location: Tamatave, Madagascar
96844

130425