New Search Family, Subfamily and Tribe List

SubFamily Lamiinae

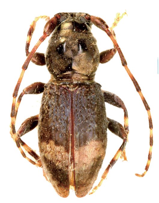
Tribe Parmenini
Paracondyloides flavofasciatus Breuning 1978

Sex: m
Institution: MHNG Museum of Natural History, Geneva, Switzerland
Photographer: Eduard Vives
Collection Location: Touho, New Caledonia
101650

130425