New Search Family, Subfamily and Tribe List

SubFamily Lamiinae

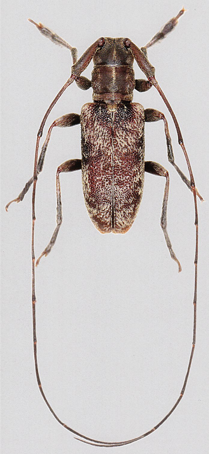
Tribe Oculariini
Ocularia cineracea aethiopica Teocchi, Jiroux & Sudre 2004

Sex: m
Photographer: Karl Adlbauer
Collection Location: Ethiopia
72693


Sex: f
Photographer: Karl Adlbauer
Collection Location: Ethiopia
72694

130425