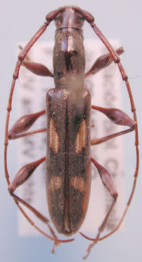
_Martins_CNC_FTH.jpg)
Specimen Type: holotype Sex: m Institution: CNC Canadian National Collection of Insects, Ottawa, Ontario, Canada Collection Location: 5 miles North of Mazatlán, Sinaloa, Mexco 17484
|
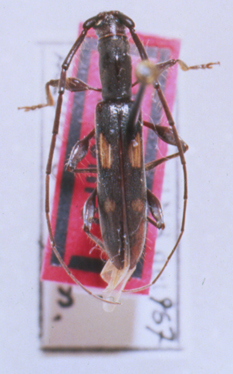
_Martins_CNC_5miN_Mazatlan_Sinaloa_Mex_Laplante.jpg)
Specimen Type: holotype Sex: m Institution: CNC Canadian National Collection of Insects, Ottawa, Ontario, Canada Photographer: Serge Laplante, photograph and data Determiner: Copyright of
Agriculture & Agri Food Canada Collection Location: 5 mi N of Mazatlan, Sinaloa, Mexico 63024
|
_Martins_CNC_5miN_Mazatlan_Sinaloa_Mex_Laplante.jpg)
Specimen Type: holotype Sex: m Institution: CNC Canadian National Collection of Insects, Ottawa, Ontario, Canada Photographer: Serge Laplante, photograph and data Determiner: Copyright of
Agriculture & Agri Food Canada Collection Location: 5 mi N of Mazatlan, Sinaloa, Mexico 63025
|
_Martins_CNC_5miN_Mazatlan_Sinaloa_Mex_Laplante.jpg)
Specimen Type: holotype Sex: m Institution: CNC Canadian National Collection of Insects, Ottawa, Ontario, Canada Photographer: Serge Laplante, photograph and data Determiner: Copyright of
Agriculture & Agri Food Canada Collection Location: 5 mi N of Mazatlan, Sinaloa, Mexico 63026
|
_Martins_MZSP_Nayarit_Mexico_SS.jpg)
Specimen Type: paratype Sex: m Institution: MZSP Museu de Zoologia da Universidade de São Paulo, Brazil Photographer: Antonio Santos-Silva Collection Location: Nayarit, Mexico 70081
|
_Martins_MZSP_Nayarit_Mexico_SS.jpg)
Specimen Type: paratype Sex: m Institution: MZSP Museu de Zoologia da Universidade de São Paulo, Brazil Photographer: Antonio Santos-Silva Collection Location: Nayarit, Mexico 70082
|
_Martins_Sinaloa_UCB.jpg)
Specimen Type: paratype Institution: UCB Essig Museum of Entomology, Berkeley, California, USA Photographer: Larry G. Bezark Collection Location: Sinaloa, Mexico 10423
|

Institution: LGBC Larry G. Bezark Collection, Sacramento, California, USA Photographer: Larry G. Bezark Determiner: Jim Cope Collection Location: 3 km E Malpicia, Sinaloa, Mexico 10424
|

Institution: LGBC Larry G. Bezark Collection, Sacramento, California, USA Photographer: Larry G. Bezark Determiner: Martins Collection Location: 27 mi NNE Santa Maria Ecatepec, Oaxaca, Mexico 24707
|

Institution: LGBC Larry G. Bezark Collection, Sacramento, California, USA Photographer: Larry G. Bezark Determiner: Martins Collection Location: 27 mi NNE Santa Maria Ecatepec, Oaxaca, Mexico 24708
|
 Martins CSCA 5km NW Petalcingo, Puebla, Mexiso.jpg)
Sex: f Institution: CSCA California State Collection of Arthropods, Sacramento, California Photographer: Antonio Santos-Silva Collection Location: 5 km NW Petalcingo, Puebla, Mexico 101273
|

Photographer: Larry G. Bezark 10425
|
|