New Search Family, Subfamily and Tribe List

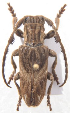
SubFamily Lamiinae

Tribe Neopachystolini
Mallonia pauper Jordan 1903

Photographer: Carlo Vitali, Cerambycoidea Forum
Collection Location: Cameroon
52042

130425