New Search Family, Subfamily and Tribe List

SubFamily Lamiinae

Tribe Neopachystolini
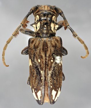
Mallonia barbicornis (Fabricius, 1798)

Lamia barbicornis Fabricius
Specimen Type: syntype
Institution: ZMUC University of Copenhagen, Zoological Museum, København, Denmark
Photographer: Gino Nearns
Collection Location: Guinea
51536

130425