_seabrai_MNRJ_SWL_=_Heterocompsa.jpg)
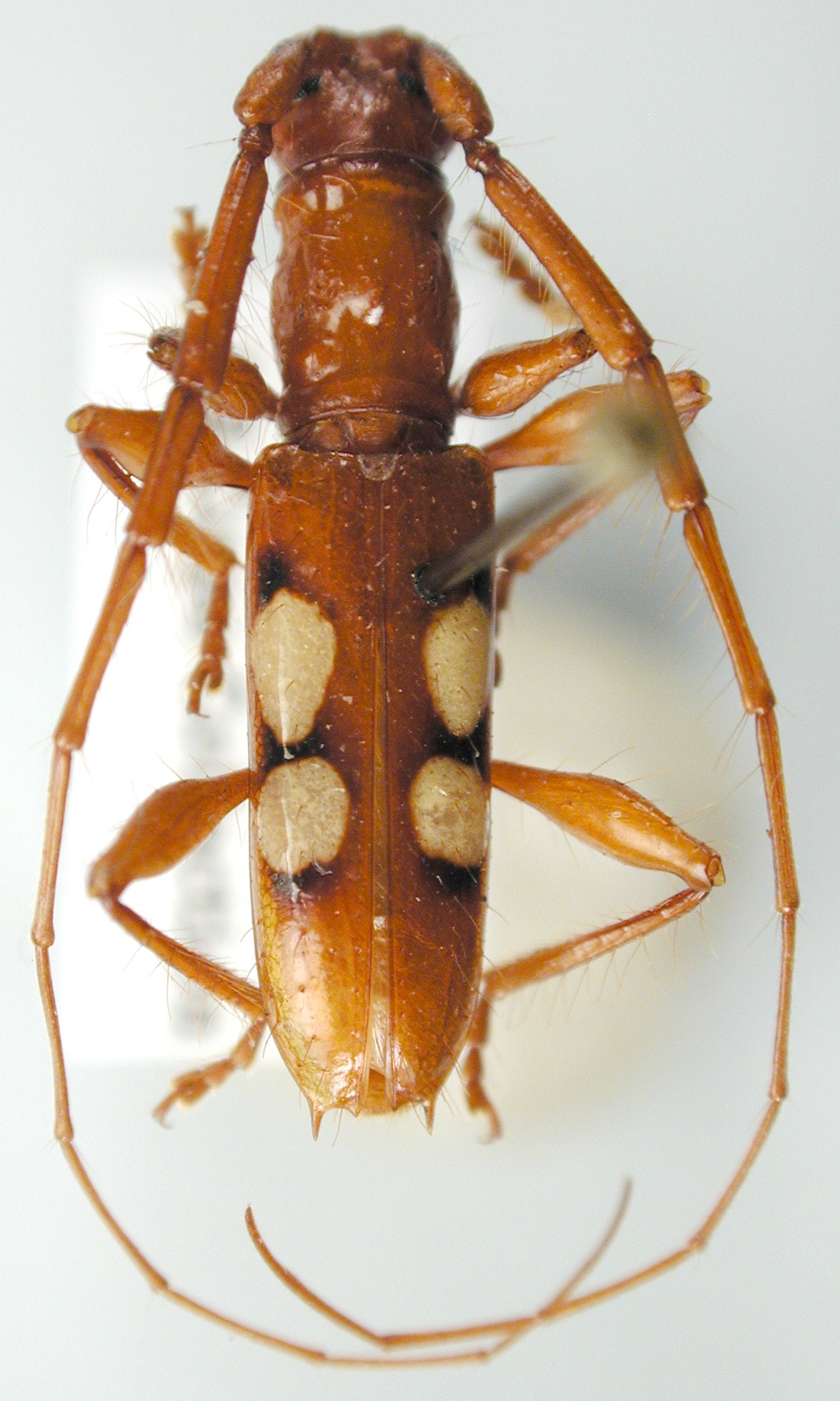
Compsa seabrai Martins Specimen Type: holotype Sex: m Institution: MNRJ Museu Nacional Universidade do Rio Janeiro, Brazil Photographer: Steve Lingafelter Collection Location: Estancias Burruyacu, Tucuman, Argentina 6000
|
.jpg)
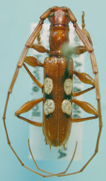
Institution: FTH Frank T. Hovore collection (now at California Academy of Sciences) Photographer: Larry G. Bezark Collection Location: Cerro Azul, Panama 8386
|
 Fort Gulick, Colon Province, Panama JCPC LGB.jpg)
Institution: JCPC Jim Cope Collection, San Jose, California, USA now at CSCA, Sacramento Photographer: Larry G. Bezark Determiner: Jim Cope Collection Location: Fort Gulick, Colon Province, Panama 98052
|
 Fort Gulick, Colon Province, Panama JCPC LGB.jpg)
Institution: JCPC Jim Cope Collection, San Jose, California, USA now at CSCA, Sacramento Photographer: Larry G. Bezark Determiner: Jim Cope Collection Location: Fort Gulick, Colon Province, Panama 98053
|
|