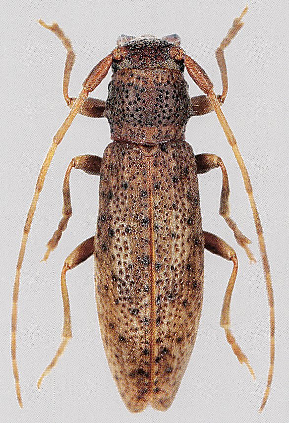
_latifrons_(h)_Breuning_Ethiopia_USNM.jpg)
Mecynome latifrons Breuning Specimen Type: holotype Institution: NMNH United States National Museum, Washington, DC, USA Photographer: Steve Lingafelter Collection Location: Ethiopia 52229
|
_latifrons_(h-label)_Breuning_Ethiopia_USNM.jpg)
Mecynome latifrons Breuning Specimen Type: holotype Institution: NMNH United States National Museum, Washington, DC, USA Photographer: Steve Lingafelter Collection Location: Ethiopia 52230
|
_Breuning_BMNH_Djem-Djem_Forest_Ethiopia_now_Niphoparmena_Adlbauer.jpg)
Mecynome latifrons Breuning Specimen Type: maybe a syntype Sex: m Institution: BMNH British Museum Natural History, London, UK Photographer: Karl Adlbauer Collection Location: Djem-Djem Forest, Ethiopia 72617
|
_(Breuning)_Ethiopia_Adlbauer.jpg)
Sex: f Photographer: Karl Adlbauer Collection Location: Ethiopia 72662
|
|